Befahrbarkeit des Grundstückes

Diskutiere Befahrbarkeit des Grundstückes im Baugesuch, Baugenehmigung Forum im Bereich Rund um den Bau; Hallo Zusammen, wir haben vor mehreren Monaten ein Haus in BW Baujahr1979 gekauft, das aktuell Kernsaniert wird. Nun haben wir komplett um das...

  1. #1 daalemer, 02.03.2021
    daalemer

    daalemer

    Dabei seit:
    02.03.2021
    Beiträge:
    2
    Zustimmungen:
    0
    Hallo Zusammen,
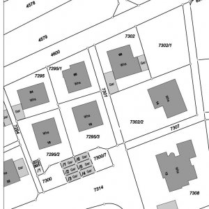
    wir haben vor mehreren Monaten ein Haus in BW Baujahr1979 gekauft, das aktuell Kernsaniert wird. Nun haben wir komplett um das Haus Fusswege/Gehwege, diese teilweise mit solchen Mittelpfosten (entnehmbar) versehen sind. Wir würden unser Grundstück gerne befahren können um einen kürzeren Weg zum Haus zu haben. Uns gehört weiter unten auch noch eine Garage (siehe Bebauungsplan /4 Gar). Da wir aber noch eine Einliegerwohnung haben, wirds knapp mit dem Parken. Nun hatten wir die Frage an unser Gemeinde Bauamt (BW) ob wir eine Parkfläche wie der Nachbar (siehe Satellitenaufnahme) an der Gelb markierten Stelle errichten dürfen. Dies wurde uns (mündlich) gleich untersagt mit der Begründung das man auf dem Gehweg jemanden anfahren könnte. Nach Rücksprache mit einem Anwalt, meinte dieser: Es gibt ein Urteil das man Geh- und Fusswege um auf sein Grundstück kommt, kreuzen darf, sofern der Randstein niedrig gesetzt ist. Das ist der Fall. Sicher die Zufahrt ist etwas knapp, aber selbst ein LKW kommt diagonal durch, da wir dies während dem Umbau bereits getestet haben (siehe Bild).

    Grundsätzlich hätte ich gerne eine Garage gebaut, die habe ich mir jedoch bereits aus dem Kopf geschlagen, da das Bauamt nach dieser Unterredung dieses Vorhaben sicherlich auf keinen Fall genehmigt. Dann dachte ich mir, naja wenigstens ein Carport, mitterweile wäre ich schon glücklich einen zusätzlichen Abstellplatz zu haben. DIe Frage wäre auch, einfach bauen oder nochmal fragen, eventuell schriftlich? Aber wenn ich denke im recht zu sein und ein Abstellplatz genehmigungsfrei ist, vielleicht einfach losbauen? Schwierig... Freue mich auf eure Einschätzung und Handlungsempfehlung.

    Vorab vielen Dank für eure Hilfe und Mühe.
     

    Anhänge:

    • bp1.jpg
      bp1.jpg
      Dateigröße:
      222,3 KB
      Aufrufe:
      337
    • bp2.jpg
      bp2.jpg
      Dateigröße:
      61 KB
      Aufrufe:
      334
    • bp3.jpg
      bp3.jpg
      Dateigröße:
      168,8 KB
      Aufrufe:
      347
    • bp5.png
      bp5.png
      Dateigröße:
      1,4 MB
      Aufrufe:
      332
  2. Dimeto

    Dimeto

    Dabei seit:
    22.07.2017
    Beiträge:
    1.635
    Zustimmungen:
    2.145
    Beruf:
    Vermessungsingenieur
    Ort:
    NRW
    Genehmigungsfrei heißt aber nicht vorschriftenfrei, daher halte ich "einfach losbauen" für keine gute Idee. Immerhin liegt Dein geplanter Stellplatz außerhalb der überbaubaren Fläche, die der Bebauungsplan festsetzt. Er könnte dort also unzulässig sein oder einen Antrag auf Befreiung erfordern. Eventuell ist auch der Blick in die Widmungsverfügung der Wohnwege notwendig. Vielleicht gibt es noch die ein oder andere Stolperfalle mehr, die einen Rückbau nach sich ziehen könnte.
    Was genau hast Du dem Anwalt erzählt, wie genau lautete(n) Deine Frage(n), was genau hat er recherchiert, welche Punkte hat er erwähnt, wie lange dauerte die Rücksprache?

    Mein Rat: Wende Dich an einen ortsansässigen Architekten, der mal die örtlichen Bauvorschriften vollständig sichtet und daraufhin eine Empfehlung ausspricht. Die 150€ würde ich investieren.
     
  3. Reifi

    Reifi

    Dabei seit:
    08.01.2009
    Beiträge:
    100
    Zustimmungen:
    38
    Beruf:
    IT-Berater
    Ort:
    Warendorf
    Hallo,

    also wenn der Nachbar "7308" ist, der das auch hat, sieht das für mich so aus, als wenn er auch direkt an einer Straße liegt und bei euch ist das wegen der Wege aners und aus meiner Sicht nicht vergleichbar.

    VG
    Reifi
     
    simon84 gefällt das.
  4. #4 daalemer, 07.03.2021
    daalemer

    daalemer

    Dabei seit:
    02.03.2021
    Beiträge:
    2
    Zustimmungen:
    0
    Hallo Zusammen,

    vielen Dank schonmal für die Antworten und Einschätzungen. Den Weg über den Architekten bin ich schon gegangen. Er meinte tatsächlich, einfach mal bauen und schauen was passiert. Da es "nur" eine gefpalsterte Fläche ist, wird auch recht wenig verloren sein, im Fall der Fälle (Rückbau).

    Daraufhin bin ich zum Fachanwalt und hab diesen um seine Einschätzung gebeten, er meinte folgendes (Auszug da mehrere Themen angefragt wurden):

    *********
    ....Es stehen sich also rechtlich gesehen zwei Positionen gegenüber:
    Zum einen der Umstand, dass sie als Eigentümer eines Grundstücks an einer öffentlichen Gemeindestraße grundsätzlich den Anspruch haben, dass Ihr Grundstück über die Straße erschlossen ist (hier wäre gegebenenfalls der Bebauungsplan inklusive der Textteil Vor-schriften noch ergänzend einzusehen). Dazu gehört auch die grundsätzliche Verpflichtung eines Grundstückseigentümers, Stellplätze auf dem eigenen Grundstück vorzuhalten.
    Zum anderen der Umstand, dass gegebenenfalls das Überfahren eines nur für Fußgänger gewidmeten Weges eine Sondernutzung der Straße darstellt, die genehmigungspflichtig ist, und bei der für die Gemeinde eine entsprechende Sondernutzungserlaubnis einzuholen ist.
    Des Weiteren stellt sich bei Ihnen die Frage, welche Sanktionen zu erwarten wären, wenn ein Stellplatz auf ihrem Grundstück errichtet wird und hierfür der Fußgängerweg zur Zuwe-gung überfahren würde.
    Hier ist zum einen zu sehen, dass die Errichtung eines Stellplatzes auf dem Grundstück, (Carport), in der Regel nicht genehmigungspflichtig ist. Zum anderen gibt es eine etwas ältere Entscheidung des Oberlandesgerichts Hamburg vom 31.5.1985 Aktenzeichen Ss 91/85 OWi, in dem das Oberlandesgericht feststellt, dass das Überfahren eines Gehwegs zwecks Einfahrt in das eigene Grundstück nicht ordnungswidrig ist.
    Lege ich diese Rechtsprechung zugrunde, dann könnte es vom Ergebnis durchaus so sein, dass selbst für den Fall, dass die Gemeinde keine offizielle Erlaubnis zum Überfahren des Gehwegs erteilt, sowohl die Errichtung des Stellplatzes als auch das Überfahren des Gehwegs sanktionslos blieben. ....
    **********
    Da ich nun immernoch mit mir hadere, dachte ich mir hier mal aktiv zu werden. Freue mich über weitere Einschätzungen und eventuell gibt es jemand der einen ähnliche Fall hat und positives oder negatives berichten kann.

    Viele Grüße und einen schönen Sonntag.
     
  5. #5 simon84, 07.03.2021
    simon84

    simon84
    Moderator

    Dabei seit:
    11.11.2012
    Beiträge:
    23.318
    Zustimmungen:
    6.934
    Beruf:
    Schrauber
    Ort:
    Muenchen
    Ist das eigentlich ein Stadtgebiet ? Dichte beparkung?

    Vielleicht bin ich zu blöd, aber was ist denn der Unterschied ob das Auto auf der Straße direkt vor dem Haus steht oder 5 Meter weiter auf dem Grundstück selbst ? :)
     
  6. Dimeto

    Dimeto

    Dabei seit:
    22.07.2017
    Beiträge:
    1.635
    Zustimmungen:
    2.145
    Beruf:
    Vermessungsingenieur
    Ort:
    NRW
    Und hat der sich denn auch eingehend mit dem Bebauungsplan befasst und sich nach der Widmung der angrenzenden Wege erkundigt?
    Das hat der Anwalt ja auch nicht getan. Da frage ich mich, wie er sich zu seiner Einschätzung hinreißen lassen kann, wenn er nicht einmal die grundlegenden Fakten geklärt hat. Hört sich für mich wie typisches Juristengeschwafel bei der Erstberatung an.
    1. kennt er die Widmungsverfügung doch gar nicht und 2. heißt das ja nicht, dass die Erschließung mit dem PKW befahrbar sein muss.
    Das ist doch auch ein ganz wesentlicher Punkt. Ohne den abgeklärt zu haben, kann doch gar keine seriöse Aussage getroffen werden. Denn wenn der Stellplätze dort nicht ausdrücklich zulässt, kann die Gemeinde nach §23, Absatz 5, BauNVO die Zulassung verweigern und hat somit neben den straßenrechtlichen Aspekten auch noch planungsrechtliche Möglichkeiten, gegen die Errichtung vorzugehen.
    Aber doch nicht, wenn es zu Deinem Grundstück eine Garage auf gesondertem Flurstück gibt. Ist diese vielleicht sogar durch Baulast gesichert? Gibt's denn bei Euch eine Stellplatzsatzung?

    Wenn Du nicht schon bei der Gemeinde angefragt hättest, hätte ich auch gesagt: No risk, no fun. Jetzt hast Du aber schon ein "Nein". Wenn der Gemeindemitarbeiter spitz kriegen wird, dass Du einfach gebaut haben wirst, wird er vermutlich alle Hebel in Bewegung setzen, den Rückbau zu erzwingen.
     
    simon84, Gast56382, Domski und einer weiteren Person gefällt das.
Thema:

Befahrbarkeit des Grundstückes

Die Seite wird geladen...

Befahrbarkeit des Grundstückes - Ähnliche Themen

  1. Abdichtung befahrbarer Carport Boden über Kellerdecke

    Abdichtung befahrbarer Carport Boden über Kellerdecke: Unser Neubau Carport befindet sich auf der Kellerdecke und wurde mit einer Art Schaum (XPS Platten ggf.) und darüber 2 Schichten verschweisste...
  2. Befahrbare Beton-Deckel für Grube

    Befahrbare Beton-Deckel für Grube: Hallo liebe Forengemeinde, auf einem landwirtschaftlichen Anwesen (nicht meins) wird zur Zeit eine Grube erstellt (Länge 6 Meter, Breite 80 cm,...
  3. Stellplatz LKW befahrbar Durchlässig

    Stellplatz LKW befahrbar Durchlässig: Hallo Ich möchte einen Stellplatz bauen, 10x10 Meter der mit 30t befahrbar ist. Dieser soll mit Kies abgedeckt werden und in der Lage sein...
  4. 7,5t Abrollkipper mit Hubwagen / Ameise befahrbar ?

    7,5t Abrollkipper mit Hubwagen / Ameise befahrbar ?: Ich grüße euch alle Ich und wünsche allen viel Spaß beim Bauen!! Ich ( selbstständig im Gartenbau / Tiefbau ) überlege mir einen gebrauchte...
  5. Grundstück nicht befahrbar

    Grundstück nicht befahrbar: Guten Morgen zusammen, ich wusste nicht genau, zu welchem Thema meine Frage passt, deswegen stell ich Sie mal hier. Folgende Situation: Wir...