Bitte um Hilfe beim Bauplan-Lesen-

Diskutiere Bitte um Hilfe beim Bauplan-Lesen- im Bauen mit Architekten Forum im Bereich Architektur; Liebe Alle, ich habe einen Bauplan mit bombierten, gestrichelten Linien- was bedeuten diese? Es ist ein Erdgeschoß, vielleicht hilft diese Info....

  1. DaSaLi

    DaSaLi

    Dabei seit:
    13.10.2022
    Beiträge:
    2
    Zustimmungen:
    2
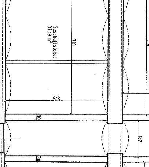
    Liebe Alle, ich habe einen Bauplan mit bombierten, gestrichelten Linien- was bedeuten diese? Es ist ein Erdgeschoß, vielleicht hilft diese Info.
    Wäre euch sehr dankbar, wenn ihr mir hiermit weiterhelfen könntet!
    DaSaLi
     

    Anhänge:

  2. #2 Gast 85175, 13.10.2022
    Gast 85175

    Gast 85175 Gast

    wie sieht da die Decke aus?
     
  3. #3 Jo Bauherr, 13.10.2022
    Jo Bauherr

    Jo Bauherr

    Dabei seit:
    19.06.2018
    Beiträge:
    1.046
    Zustimmungen:
    511
    Beruf:
    (Ex)-Vermieter
    Ort:
    Randberlin
    Das wird die Symboldarstellung für Kappendecken im Grundriss sein. Entweder für die Decke über dem Raum oder für die Decke darunter - je nachdem ob ein Statiker oder ein Architekt den Plan gezeichnet hat.


    .
     
    Tilo, BaUT und hanghaus2000 gefällt das.
  4. DaSaLi

    DaSaLi

    Dabei seit:
    13.10.2022
    Beiträge:
    2
    Zustimmungen:
    2
    Es sind tatsächlich gewölbte Decken, ich habe da keinen Zusammenhang hergestellt.... vielen herzlichen Dank euch!!!
     
    Tilo und hanghaus2000 gefällt das.
Thema:

Bitte um Hilfe beim Bauplan-Lesen-

Die Seite wird geladen...

Bitte um Hilfe beim Bauplan-Lesen- - Ähnliche Themen

  1. Türöffnung zumauern; Bitte um Hilfe bei Steinauswahl

    Türöffnung zumauern; Bitte um Hilfe bei Steinauswahl: Hallo zusammen, das ist mein erster Beitrag und ich hoffe ich poste ihn im richtigen Unterforum. Kein Neubau, aber ich habe jetzt nichts...
  2. Risse nach kompletter Sanierung im Innenausbau bitte schnelle Hilfe :-(

    Risse nach kompletter Sanierung im Innenausbau bitte schnelle Hilfe :-(: Guten Tag Ihr Lieben , wir haben ein echtes Problem gerade, da uns der Bauunternehmer immer wieder mit neuen Ausreden kommt und wir morgen die...
  3. Bitte um Hilfe Anputzleiste nicht ordentlich verputzt?

    Bitte um Hilfe Anputzleiste nicht ordentlich verputzt?: Hallo zusammen, ich benötige dringend Eure Hilfe. Wir haben unser Haus mit Hokzfaserplatten dämmen lassen. Nun sind vorgestern die Putzarbeiten...
  4. Falsche Spachtelmasse benutzt beim Rigips im Badezimmer. Bitte um Hilfe.

    Falsche Spachtelmasse benutzt beim Rigips im Badezimmer. Bitte um Hilfe.: Moin ,ich modernisiere gerade mein Badezimmer(Bodenheizung,Unterputz- Duscharmatur/Toilettenkasten/Wasserhahn und Ansicht ein Fugenloses...
  5. Baufinanzierung bitte Hilfe beim Vergleich von zwei Angeboten

    Baufinanzierung bitte Hilfe beim Vergleich von zwei Angeboten: Guten Tag, ich habe gerade ein Problem bei dem ich Verzweifele ich habe mich schon beraten lassen und habe zwei Möglichkeiten meine...