Eintragung einer Baulast bezahlen lassen?

Diskutiere Eintragung einer Baulast bezahlen lassen? im Baugesuch, Baugenehmigung Forum im Bereich Rund um den Bau; Hallo zusammen, meine Nachbarn möchten gerne umbauen und benötigen dafür eine Nutzungsänderung. Man hat mich darum gebeten der Eintragung einer...

  1. Bau92

    Bau92

    Dabei seit:
    05.12.2024
    Beiträge:
    1
    Zustimmungen:
    0
    Hallo zusammen,

    meine Nachbarn möchten gerne umbauen und benötigen dafür eine Nutzungsänderung.

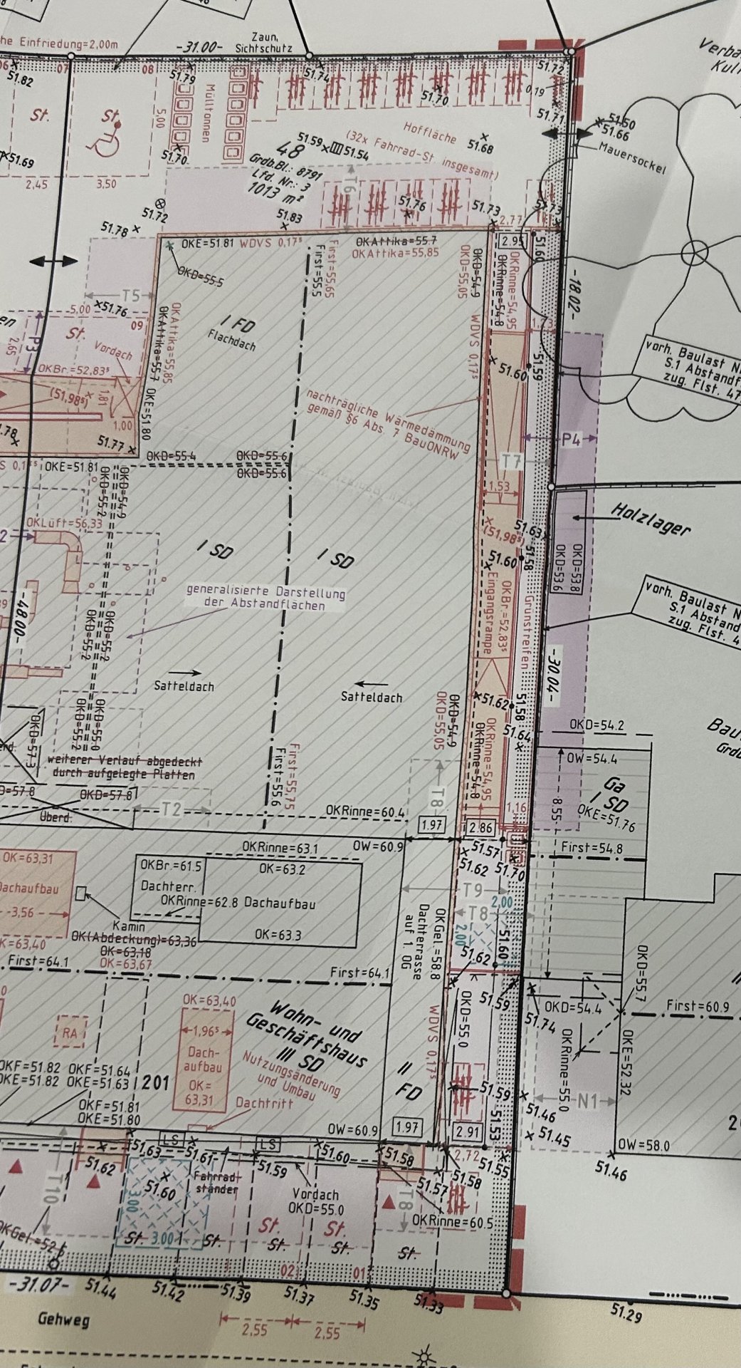
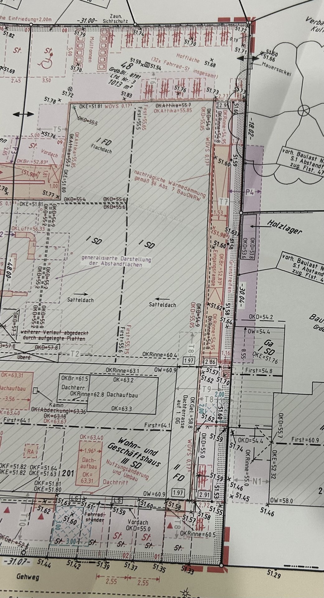
    Man hat mich darum gebeten der Eintragung einer Baulast aufgrund der Abstandsflächen zuzustimmen (siehe Foto im Anhang, hellblauer Bereich).

    Im Grunde habe ich nichts dagegen, da die vorhandenen Gebäude von mir sowieso Bestandsschutz haben und ich auch wahrscheinlich nie vorhabe diesen Bereich zu bebauen, da es primär Gartenfläche ist. Es handelt sich um eine Fläche von ca. 2 Meter x 9 Meter.

    Meine Frage ist jetzt; kann ich hierfür eine Ausgleichszahlung verlangen und wenn ja wie hoch könnte diese sein (woran orientiert sich diese?). Oder würdet ihr dem Frieden Willen dieser Eintragung einfach zustimmen?

    Vielen Dank vorab für eure Antworten!
     

    Anhänge:

  2. #2 simon84, 05.12.2024
    simon84

    simon84
    Moderator

    Dabei seit:
    11.11.2012
    Beiträge:
    23.255
    Zustimmungen:
    6.903
    Beruf:
    Schrauber
    Ort:
    Muenchen
    Dem entsprechenden Bodenrichtwert

    Ich persönlich würde es wahrscheinlich machen, je nach Situation.
     
  3. #3 hanghaus2000, 05.12.2024
    hanghaus2000

    hanghaus2000

    Dabei seit:
    24.11.2021
    Beiträge:
    1.514
    Zustimmungen:
    625
    Beruf:
    Bauleiter, Kalkulator, Controller, Salzdesign
    Ort:
    Bayern
    Ich wuerde das nicht unterschreiben und schon gar nicht fuer den Bodenrichtwert.

    Der Nachbar hat einen gewaltigen Vorteil. 18 m2 * Miete * 30 Jahre* die Etagen. Frag den doch erst mal was es Ihm wert ist.

    Du kannst doch nicht wissen, was in Zukunft mit Deinem GS passiert. Dann darfst Du zur regulaeren Abstansflaeche noch zusaetzlich mehr Abstand einhalten.

    Wenn Du es finanziell nicht noetig hast mach es nicht.
     
    11ant und simon84 gefällt das.
  4. 11ant

    11ant

    Dabei seit:
    28.02.2017
    Beiträge:
    2.486
    Zustimmungen:
    1.564
    Beruf:
    Bauherrenberater
    Ort:
    RLP Nord
    Benutzertitelzusatz:
    bringt Sie gut beraten ins Eigenheim
    Man kann Abstandsflächen nicht "zustimmen", ohne sie übernehmen zu müssen.
     
    hanghaus2000 gefällt das.
  5. #5 Steven1000, 06.12.2024
    Steven1000

    Steven1000

    Dabei seit:
    10.09.2014
    Beiträge:
    90
    Zustimmungen:
    28
    Beruf:
    Kaufmann
    Ort:
    Rommerskirchen
    Hallo

    "der Eintragung einer Baulast ....zuzustimmen.
    Die Überumpelungstaktik. Finde ich schon dreist.
    Deinem Nachbar ist sicherlich klar, was er von dir verlangt.
    Würde ich nie und nimmer zustimmen, und wenn, gegen ordentlich Geld.
    Als ich vor 20 Jahren baute, stand ich vor der Wahl, meine Garage (die direkt an das haus grenzt, als Grenzbebauung auszuführen oder 1,50 Meter eingerückt. Dies bedingte die Übernahme der Baulast durch den Nachbarn.
    Ich bot ihm 3.000 Euro an.
    Er hatte die Möglichkeit, das Geld zu nehmen oder die Garage 1,50 näher zu seinem Grundstück gebaut zu bekommen. Ich lud ihn anschließend zu einem edlen Restaurant ein und wir freuten uns bzgl den beidseitigen guten deal.

    Stefan
     
    11ant und hanghaus2000 gefällt das.
  6. Dimeto

    Dimeto

    Dabei seit:
    22.07.2017
    Beiträge:
    1.635
    Zustimmungen:
    2.145
    Beruf:
    Vermessungsingenieur
    Ort:
    NRW
    Ja.
    Am Wert der Beeinträchtigung für Dein Grundstück und am Wert des Nutzens für das Nachbargrundstück.
    Nein. Da auf Deinem Grundstück aber schon eine Baulast ruht, fallen die grundsätzlichen Nachteile einer Belastung bei der Ermittlung des Beeinträchtigungswertes schon mal weg.
     
    simon84, dsebasti, hanghaus2000 und einer weiteren Person gefällt das.
  7. #7 Architectus, 10.12.2024
    Architectus

    Architectus

    Dabei seit:
    16.11.2024
    Beiträge:
    109
    Zustimmungen:
    43
    Jede Eintragung bedeutet Minderung in der Nutzung deines eigenen Grundstücks, das kann man nicht mal eben so machen.
    Wenn du oder deine Nachfolger erweitern wollen,werden sie es wohl merken, wenn du oder deine Nachfolger verkaufen wollen, werden sie es sicher merken, Grundstücke mit Baulasteintragunge sind Wertgemindert und spätestens der neue Käufer wird das realisieren.
     
    hanghaus2000 und 11ant gefällt das.
Thema:

Eintragung einer Baulast bezahlen lassen?

Die Seite wird geladen...

Eintragung einer Baulast bezahlen lassen? - Ähnliche Themen

  1. Regenwasserkanal über privates Grundstück ohne Eintragung im Grundbuch

    Regenwasserkanal über privates Grundstück ohne Eintragung im Grundbuch: Guten Tag, wir haben im Zuge von Erdarbeiten auf unserem Grundstück den Regenwasserablaufkanal der Straße in der wir wohnen "gefunden". Eine...
  2. Baulast eintragen lassen nach Grundstücksverkauf

    Baulast eintragen lassen nach Grundstücksverkauf: Hallo, wir wollen ein Grundstück verkaufen. Das Grundstück grenzt direkt an das Elterngrundstück. Von meinem Elternhaus geht mitten durch das zu...
  3. Baulast Eintragung Fragen

    Baulast Eintragung Fragen: Hallo hab mal wieder eine Frage. Hab ein Gebäude was mit 11 Meter Länge direkt an Grundstück Grenze steht ohne eine Eintragung Baulast Nachbarn....
  4. Baulast soll eingetragen werden

    Baulast soll eingetragen werden: Hallo Experten, unser Haus steht kurz vor der Fertigstellung und nun flatterte ein Brief ins Haus, mit folgendem Inhalt (Auszug): wie Sie...
  5. Was kostet der Eintrag einer Baulast?

    Was kostet der Eintrag einer Baulast?: Wir müssen bei unserer Außendämmung auf das Grundstück des Nachbarn (auch die Dämmung wird sich auf dem Nachbargrundstück befinden). Es sind...