Rückstaupumpe (Empfehlung im technischen Gespräch)

Diskutiere Rückstaupumpe (Empfehlung im technischen Gespräch) im Bauphysik allgemein Forum im Bereich Bauphysik; Liebe Foren Mitglieder, wir hatten diese Woche unser technisches Gespräch mit unserem Hausanbieter für unser Bauprojekt (Einfamilienhaus,...

  1. #1 ChristianBW, 12.04.2025
    ChristianBW

    ChristianBW

    Dabei seit:
    07.07.2024
    Beiträge:
    13
    Zustimmungen:
    0
    Liebe Foren Mitglieder,

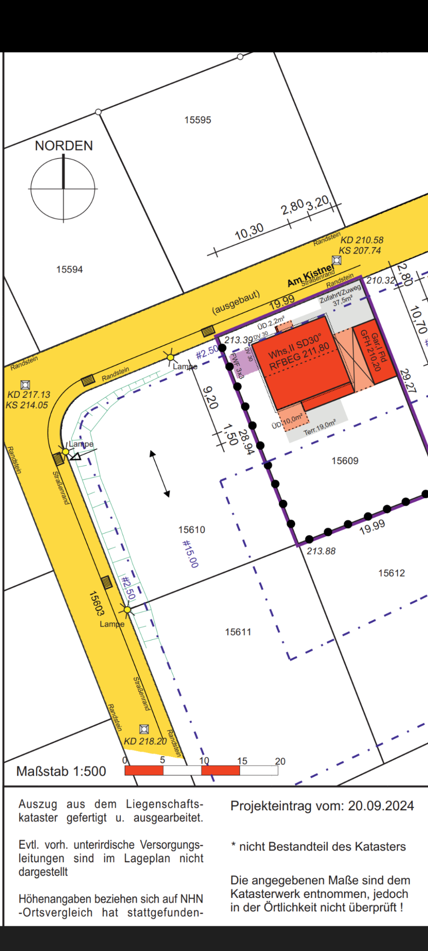
    wir hatten diese Woche unser technisches Gespräch mit unserem Hausanbieter für unser Bauprojekt (Einfamilienhaus, Holzständer auf Bodenplatte, Hanglage im Neubaugebiet, Lageplan inkl Kanäle anbei)

    Hierbei wurde uns empfohlen eine Rückstaupumpe einzubauen um uns vor hineindrückendem Kanalwasser zu schützen. Die Aussagen waren etwas schwammig, obwohl alles nach dem Stand der Technik geplant wäre (unser Kanal befindet sich niedriger als die Bodenplatte), gebe es "Meinungen" die es trotzdem empfehlen da auch aus dem nächsthöheren Kanal ein Risiko besteht + ggf. ein Risiko in Bezug auf die Versicherung im Schadensfall besteht. Daher muss er es uns anbieten und wir unterschreiben falls wir es nicht möchten.

    Die Extrakosten sind bei ca 8000 € und es werden auch laufende Kosten für die Wartung entstehen, daher bin ich aktuell hin und her gerissen.

    Der Architekt hat es nicht mit erwähnt bzw geplant.

    1) Wie seht ihr das grundsätzlich?
    2) von welcher unabhängigen Stelle kann man sich hier noch eine Einschätzung geben lassen?

    Danke vorab

    Christian
     

    Anhänge:

  2. #2 VollNormal, 12.04.2025
    VollNormal

    VollNormal

    Dabei seit:
    20.11.2021
    Beiträge:
    4.171
    Zustimmungen:
    2.813
    Beruf:
    Bauingenieur
    Ort:
    Bochum
    Grundsätzlich sind alle Entwässerungsgegenstände, die unterhalb der Rückstauebene liegen, gegen Rückstau zu sichern. Entwässerungsgegenstände oberhalb der Rückstauebene müssen auch im Rückstaufall frei abfließen können. Die Lage der Rückstauebene verrät euch euer Kanalnetzbetreiber.

    Bei uns ist Kanalnetzbetreiber das Tiefbauamt. Die Kollegen von der Grundstücksentwässerung bieten eine kostenlose Bürgerberatung. Vielleicht gibt es bei euch ja ein ähnliches Angebot.
     
  3. #3 ichweisnix, 12.04.2025
    ichweisnix

    ichweisnix

    Dabei seit:
    21.11.2022
    Beiträge:
    1.879
    Zustimmungen:
    698
    Bei uns im Ort ist es Pflicht.
     
  4. #4 ChristianBW, 12.04.2025
    ChristianBW

    ChristianBW

    Dabei seit:
    07.07.2024
    Beiträge:
    13
    Zustimmungen:
    0
    Vielen Dank VollNormal

    Nach meinem Verständnis ist die Bodenplatte ca 1,40 Meter über dem Kanaldeckel, mach mich aber nochmal Schlau ob das auch die Rückstauebene ist.

    Danke auch für den Tipp mit dem Tiefbauamt, da mach ich mich zusätzlich mal Schlau
     
  5. #5 ChristianBW, 12.04.2025
    ChristianBW

    ChristianBW

    Dabei seit:
    07.07.2024
    Beiträge:
    13
    Zustimmungen:
    0
    Vielen Dank VollNormal

    Nach meinem Verständnis ist die Bodenplatte ca 1,40 Meter über dem Kanaldeckel, mach mich aber nochmal Schlau ob das auch die Rückstauebene ist.

    Danke auch für den Tipp mit dem Tiefbauamt, da mach ich mich zusätzlich mal Schlau
    Danke dir, bei uns war es zumindest keine Auflage bei der Baugenehmigung und steht so auch nicht im Bebauungsplan. Am Ende hab ich aber trotzdem keine Lust auf Schmutzwasser im Haus, möchte nur verstehen ob überhaupt notwendig.
     
  6. #6 Fred Astair, 12.04.2025
    Fred Astair

    Fred Astair

    Dabei seit:
    02.07.2016
    Beiträge:
    12.654
    Zustimmungen:
    6.522
    Beruf:
    Tänzer
    Ort:
    San Bernardino
    In der Technik haben Meinungen keinen Platz. Hier gibt es Gesetzmäßigkeiten, die gelten unabhängig von politischen Überzeugungen.
    Höhen werden nicht nach Verständnis gemessen, auch nicht nach Meinung.
    Selbst wenn es 1,40 m sein sollte, steht die Frage, welcher Kanaldeckel gemeint sein könnte.
    Die Rückstauhöhe wird nach dem nächsthöheren frei auslaufenden Kanaldeckel bestimmt.
    Alles andere hat @VollNormal bereits ausgeführt.
     
  7. #7 ChristianBW, 12.04.2025
    ChristianBW

    ChristianBW

    Dabei seit:
    07.07.2024
    Beiträge:
    13
    Zustimmungen:
    0
    Danke Fred,

    daher das Meinungen auch in Anführungszeichen.

    Wie geschrieben, ich mach mich bei der Gemeinde / Tiefbauamt dazu Schlau...

    Letzte Verständnisfrage dazu, definiert man die Rückstauebene für das Grundstück oder für den jeweiligen Kanal.
     
  8. #8 Fred Astair, 12.04.2025
    Fred Astair

    Fred Astair

    Dabei seit:
    02.07.2016
    Beiträge:
    12.654
    Zustimmungen:
    6.522
    Beruf:
    Tänzer
    Ort:
    San Bernardino
    Für das Grundstück.
     
    ChristianBW gefällt das.
Thema:

Rückstaupumpe (Empfehlung im technischen Gespräch)

Die Seite wird geladen...

Rückstaupumpe (Empfehlung im technischen Gespräch) - Ähnliche Themen

  1. Empfehlung Bodenschleifer für Trockenestrich

    Empfehlung Bodenschleifer für Trockenestrich: Hallo zusammen, ich komme in den Genuß, dass ich insgesamt 230m² Trockenestrich schleifen muss (Erster Schliff nach Verlegung, dann nach...
  2. Empfehlung Badlüfter

    Empfehlung Badlüfter: Hallo Miteinander, Kleines Bad, ca 6 m². Fensterlos. Ein 15 Jahre alter Lüfter "Helios" verbaut. Sehr vergilbt, ob er noch ausreichend lüftet ? Es...
  3. Empfehlungen Zimmertüren

    Empfehlungen Zimmertüren: Moin, wir wollen unsere Türen erneuern. Es soll Landhausstil werden. Mit den 4 Fächern. In der engeren Auswahl sind aktuell Lebo formelle 40 und...
  4. Rückstaupumpe bei 5m Kanaltiefe?

    Rückstaupumpe bei 5m Kanaltiefe?: Hallo zusammen, zur Situation: Wir bauen ein Haus ohne Keller, das etwa 50 cm unter Straßenniveau liegt. Nun meinte unser Bauingenieur, eine...
  5. Wartung Rückstaupumpe

    Wartung Rückstaupumpe: Hallo, ich habe bei mir in der Bodenplatte eine Rückstaupumpe der Fa. Kessel. Nun habe ich mal wegen der jährlichen Wartung angefragt, die...