Tragende Wände Sparrendach 3 fach; kann ich die Wände herausnehmen und eine Etage aufbauen?

Diskutiere Tragende Wände Sparrendach 3 fach; kann ich die Wände herausnehmen und eine Etage aufbauen? im Mauerwerk Forum im Bereich Neubau; Hallo zusammen, ich bin neu hier und habe einige Fragen zu einem Umbauprojekt, sprich das herausnehmen von Wänden, um einen kleinen Dachboden...

Status des Themas:
Es sind keine weiteren Antworten möglich.
  1. #1 Coyote, 18.01.2024
    Zuletzt bearbeitet: 18.01.2024
    Coyote

    Coyote

    Dabei seit:
    18.01.2024
    Beiträge:
    11
    Zustimmungen:
    0
    Hallo zusammen,

    ich bin neu hier und habe einige Fragen zu einem Umbauprojekt, sprich das herausnehmen von Wänden, um einen kleinen Dachboden aufzubauen, sprich eine Etage. Mir ist klar, dass hier niemand endgültige Aussagen treffen kann ohne das Objekt (Baujahr 1980) besichtigt zu haben.



    Folgende Fragen:



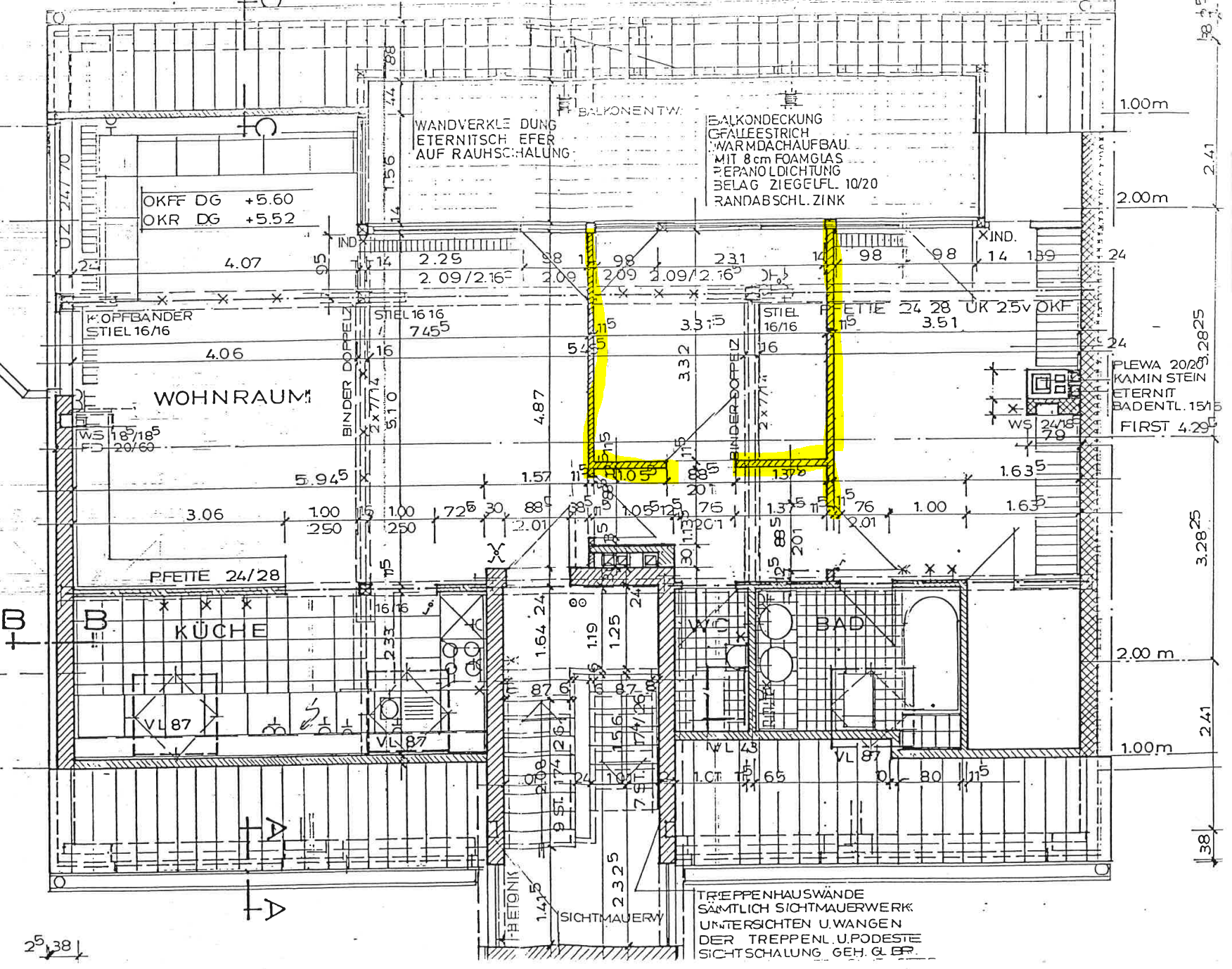
    1- Kann ich die rot markierten Wände herausnehmen? Im Plan sind es 11,5cm Wände aus Ziegel. Sparrendachstuhl 3 fach gelagert. Einfach mal ne Einschätzung.



    2- Falls man die roten Wände rausnehmen kann, kann ich dann einfach eine Etage mit Holzbalken, gelagert auf den Wänden oder anderer Holzkonstruktion aufbauen? Der Aufbau soll entweder der blau markierte Bereich sein, oder der blau und grün markierte Bereich.



    3- Darf ich einfach ein Dachfenster einbauen, oder müssen da alle Eigentümer zustimmen?



    4- Was muss ich noch beachten beim Umbau?



    5- Wie wären die Schritte?



    6- Benötige ich unbedingt einen Statiker? Was würde dieser ca. Kosten?



    7- Eventuell wäre es auch okay, nur eine Wand herauszunehmen, bzw. Teile der Wand, sodass man eine kleine Schlafluke hat um den Platz sinnvoll zu nutzen; Deckenhöhe max ist 5,5m.









    Vielen dank im Vorraus.



    MfG Marc
     

    Anhänge:

  2. Alex88

    Alex88
    Moderator

    Dabei seit:
    14.10.2014
    Beiträge:
    6.602
    Zustimmungen:
    3.565
    Beruf:
    GF, Kaufmann, Trockenbaumeister
    ja
     
    hanghaus2000 gefällt das.
  3. #3 hanghaus2000, 18.01.2024
    hanghaus2000

    hanghaus2000

    Dabei seit:
    24.11.2021
    Beiträge:
    1.509
    Zustimmungen:
    620
    Beruf:
    Bauleiter, Kalkulator, Controller, Salzdesign
    Ort:
    Bayern
    mMn koennen die Waende raus.

    Aber bei einer Eigentuemergemeinschaft auf jeden Fall bei der naechste EIgentuemerversammlung die anderen Eigentuemer fragen.

    Ausserdem niemals so etwas ohne Statiker angehen. Du bist verantwortlich das nix passiert.
     
  4. artibi

    artibi

    Dabei seit:
    08.02.2014
    Beiträge:
    1.393
    Zustimmungen:
    506
    Beruf:
    ITler
    Ort:
    Ludwigsburg
    Ist das ein MFH? Verstehe ich das richtig, dass du nicht Besitzer/Eigentümer bist? Oder was meinst du mit der Frage Dachfenster und Zustimmung Eigentümer?
     
  5. Coyote

    Coyote

    Dabei seit:
    18.01.2024
    Beiträge:
    11
    Zustimmungen:
    0
    Wieso die Eigentümergemeinschaft fragen? Das befindet sich doch alles in meiner Wohnung.
     
  6. Coyote

    Coyote

    Dabei seit:
    18.01.2024
    Beiträge:
    11
    Zustimmungen:
    0
    Doch ich bin Eigentümer, es sind 5 Pateien im Haus. Meine Wohnung ist das Dachgeschoss.
     
  7. #7 hanghaus2000, 18.01.2024
    hanghaus2000

    hanghaus2000

    Dabei seit:
    24.11.2021
    Beiträge:
    1.509
    Zustimmungen:
    620
    Beruf:
    Bauleiter, Kalkulator, Controller, Salzdesign
    Ort:
    Bayern
    MMn greifst Du in die Dachkonstruktion ein. Das Dach gehoert Dir nicht.
     
  8. Coyote

    Coyote

    Dabei seit:
    18.01.2024
    Beiträge:
    11
    Zustimmungen:
    0
    Ja moment, wenn es keine tragenden Wände sind, dann greife ich doch nicht in die Dachkonstruktion ein?!
     
  9. #9 hanghaus2000, 18.01.2024
    hanghaus2000

    hanghaus2000

    Dabei seit:
    24.11.2021
    Beiträge:
    1.509
    Zustimmungen:
    620
    Beruf:
    Bauleiter, Kalkulator, Controller, Salzdesign
    Ort:
    Bayern
    Dann frag mal lieber vorher den Statiker, ob die Waende nicht doch Aussteifen.
     
  10. Alex88

    Alex88
    Moderator

    Dabei seit:
    14.10.2014
    Beiträge:
    6.602
    Zustimmungen:
    3.565
    Beruf:
    GF, Kaufmann, Trockenbaumeister
    Eigentümergemeinschaft fragen und Statiker dazu befragen,
    mehr ist ja nicht zu sagen
    bevor jetzt irgendwelche abenteuerlichen Tipps zur Umsetzung kommen...:closed:
     
  11. #11 simon84, 19.01.2024
    simon84

    simon84
    Moderator

    Dabei seit:
    11.11.2012
    Beiträge:
    23.247
    Zustimmungen:
    6.890
    Beruf:
    Schrauber
    Ort:
    Muenchen
    Das Dach und die Dachhaut ist selbstverständlich Gemeinschaftseigentum und du musst mit der WEG sprechen. Geh auf den Verwalter zu und lass es als TOP für die nächste Versammlung aufstellen.

    ansonsten wie @Alex88 sagt erstmal Statiker
     
Thema:

Tragende Wände Sparrendach 3 fach; kann ich die Wände herausnehmen und eine Etage aufbauen?

Die Seite wird geladen...

Tragende Wände Sparrendach 3 fach; kann ich die Wände herausnehmen und eine Etage aufbauen? - Ähnliche Themen

  1. Tragende Wand

    Tragende Wand: Hallo zusammen, anbei der Grundriss einer Doppelhaushälfte Baujahr 2008. Die rot eingezeichneten Wände hat die Voreigentümerin einbauen lassen...
  2. Rissbildung nicht-tragende Wand

    Rissbildung nicht-tragende Wand: Hallo zusammen, Wollte die Frage eigentlich schon länger mal stellen. Ich habe einen längeren Riss in einer Ytongwand (nichttragend). Ich habe...
  3. 11er Mauer verstärken um eine tragende Wand zu erhalten

    11er Mauer verstärken um eine tragende Wand zu erhalten: Hallo zusammen, das Haus meiner Eltern wurde 1975 gebaut. Eine Wand, die sich vom Keller bis unter den Dachstuhl zieht, ist als 11er Mauer...
  4. Tragende Wände? - Tür und Kernbohrung

    Tragende Wände? - Tür und Kernbohrung: Hallo, vorab: Wir sind langjährige Mieter (seit 18 Jahren), keine Eigentümer. Bitte keine Rügen oder Belehrungen, die Einsicht ist da, dass wir...
  5. Entfernung Wand + Kamin - tragend?

    Entfernung Wand + Kamin - tragend?: Hallo zusammen, bevor ich einen Statiker hinzuziehe - das werde ich auf jeden Fall tun, ich möchte mir nur schonmal Gedanken machen bzgl...
Status des Themas:
Es sind keine weiteren Antworten möglich.