Verschattung vom Nachbarhaus-Neubau

Diskutiere Verschattung vom Nachbarhaus-Neubau im Baugesuch, Baugenehmigung Forum im Bereich Rund um den Bau; Hallo, ich überlege ein Grundstück zu kaufen und dort zu bauen (umrandet). Der Nachbar im Süden baut bereits (Rohbau, schraffierte Rechtecke). Er...

  1. #1 Turtle77, 14.02.2021
    Zuletzt bearbeitet: 14.02.2021
    Turtle77

    Turtle77

    Dabei seit:
    14.02.2021
    Beiträge:
    4
    Zustimmungen:
    0
    Hallo,
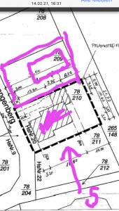
    ich überlege ein Grundstück zu kaufen und dort zu bauen (umrandet). Der Nachbar im Süden baut bereits (Rohbau, schraffierte Rechtecke). Er ist mit dem Haus 5,75 von unserer südlichen Grenze entfernt. Unser Südgarten soll ca 8m breit werden von Grundstücksgrenze bis Terrassentür. Meine Sorge ist nun, ob der Neubau einen zu langen Schatten auf unser Grundstück wirft. Bebauung ist eingeschossig in dem Bebauungsgebiet, wie hoch darf da ein Einfamilienhaus in der Regel maximal sein? Ich habe mir unter Sonnenstand .net schonmal fiktive Schattenwürfe anzeigen lassen für die Region Hannover, aber bin mir nicht sicher, ob ich das richtig interpretiere. Anbei eine Skizze ( Haus des Nachbarn im Süden markiert (schraffiertes Rechteck auf Grubdstücksgrenze über Haupthaus wird Garage), plus Idee für unser Haus im Norden. Dazwischen wie geschrieben ein Garten von 8m Breite auf unserem Grundstück und 5,75 auf Nachbarsseite bis zu dessen Haus. Ist der Südgarten dann die meiste Zeit im Schatten? Danke für eure Tipps!
     

    Anhänge:

  2. #2 simon84, 14.02.2021
    simon84

    simon84
    Moderator

    Dabei seit:
    11.11.2012
    Beiträge:
    23.318
    Zustimmungen:
    6.934
    Beruf:
    Schrauber
    Ort:
    Muenchen
    Die zulässige maximale wandhöhe hängt von sehr vielen Faktoren ab, der Schattenwurf auf das Nachbar Grundstück wird nur sehr untergeordnet bzw indirekt berücksichtigt

    wenn dein Nachbar mit Bauantrag und gem. eingereichten und genehmigten Plan Baut (als Nachbar hast du berechtigtes Interesse beim Bauamt Einsicht zu nehmen) denk ich nicht dass du hier eine Chance hast


    @Kriminelle @matschie @Dimeto

    ps details zu trauf und firsthöhe ergeben sich aus dem Bebauungsplan oder du fragst deinen Nachbarn mal wie hoch er baut :) vielleicht einfacher

    bei eingeschossig können es locker mal 4-5 Meter traufhöhe sein je nach dem was sonst noch so drin steht
     
    Dimeto gefällt das.
  3. #3 Turtle77, 14.02.2021
    Turtle77

    Turtle77

    Dabei seit:
    14.02.2021
    Beiträge:
    4
    Zustimmungen:
    0
    Danke für die Antwort, bisher ja noch nicht mein Nachbar. Meine Frau will unbedingt eine sonnige Südterrasse, daher wollen wir das vorher - bevor wir evtl. kaufen, schon mal etwas vorplanen, ob das so möglich ist. Dann wäre ein einstöckiges Haus ca! wie hoch maximal? Und ist bei einem Abstand von 5- 8 Metern dann schon der ganze Garten im Schatten? Ich kann das real so schlecht einschätzen?
     
  4. #4 Gast56382, 14.02.2021
    Gast56382

    Gast56382 Gast

    Frag doch einfach den Nachbar, was er plant. Die Länge der Schatten hängen vom der Ekliptik ab. Im Winter was bei 18°und im Sommer 6°mehr. Rest ist Pythagoras...
     
  5. Dimeto

    Dimeto

    Dabei seit:
    22.07.2017
    Beiträge:
    1.635
    Zustimmungen:
    2.145
    Beruf:
    Vermessungsingenieur
    Ort:
    NRW
    Wenn nichts im Bebauungsplan steht, ist die Höhe nicht begrenzt. Allerdings greift bei allzu gewagten Entwürfen das Verunstaltungsverbot.
    Bundesland ist also Niedersachsen?
    ... weiß ich nicht, da ich keine Interpretation gefunden habe. Nach meinen Ermittlungen wirft die Garage, wenn sie denn 3m hoch wäre, einen Schatten von ca. 2m am 21.6, über ca. 4m am 21.9. bis ca. 12m am 21.12.
    Wenn sich die Baugrenzen auf dem Nachbargrundstück linear fortsetzen sollten, wäre Deine Idee nicht genehmigungsfähig.
    Da müssen wir erst mal genauer definieren, welche Fläche Du genau mit Südgarten meinst. Ein 2m breiter Streifen entlang der Nachbargarage bekommt natürlich so gut wie nie Sonne ab.
    Wenn dieser unbedingte Wille nicht auf bestimmte Jahreszeiten beschränkt ist, ist das Grundstück suboptimal.
    Wenn Du uns den Bebauungsplan nicht zur Kenntnis gibst, können wir die Frage nicht beantworten.
    Die Antwort auf diese Frage ist an die Tageszeit, die Jahreszeit und die exakte geometrische Definition von "der ganze Garten" gekoppelt. Da das Nachbarhaus schon im Bau ist, stehen die Gebäudehöhen ja bereits fest. Mit diesen Daten kann dann für jede beliebige Position auf Deinem Grundstück zu jedem beliebigen Zeitpunkt im Jahr eine Aussage getroffen werden, ob von dort bei entsprechenden Wetterverhältnissen die Sonne gesehen werden kann.
     
  6. Dimeto

    Dimeto

    Dabei seit:
    22.07.2017
    Beiträge:
    1.635
    Zustimmungen:
    2.145
    Beruf:
    Vermessungsingenieur
    Ort:
    NRW
    :eek:
     
  7. #7 Kriminelle, 14.02.2021
    Kriminelle

    Kriminelle

    Dabei seit:
    16.05.2013
    Beiträge:
    3.828
    Zustimmungen:
    2.157
    Beruf:
    .
    Ort:
    Niedersachsen
    Nein.
    Ich muss ja jetzt kein Schulwissen posten.
    Wie wäre es denn, wenn Du und Deine Partnerin ab morgen mal mit offenen Augen durch die Weltgeschichte wandelt bzw einfach mal bei sonnigem Wetter in einem Wohngebiet spazieren geht?
    Neu geht genauso wie alt, die Sonne ist immer die gleiche, jetzt im Winter haben wir die negativste Situation -> die Sonne steht flach.
    Und dennoch wird sie es über Nachbars Haus schaffen, den Garten zu erhellen. Persönlicher Tipp: Verschattung bei einer Süd- und Westterrasse einplanen - wenn die Sonne bei 25 Grad scheint, dann sehnt ihr Euch nach Schatten ;)
     
    Fred Astair und simon84 gefällt das.
  8. #8 simon84, 14.02.2021
    simon84

    simon84
    Moderator

    Dabei seit:
    11.11.2012
    Beiträge:
    23.318
    Zustimmungen:
    6.934
    Beruf:
    Schrauber
    Ort:
    Muenchen
    Oder andersrum gesagt bei „normalen“ Abstandsflächen ist das eigentlich nie ein Thema. Ihr macht euch zu viele Sorgen. Wenn das Grundstück so passt nehmt es.

    Dass ein Nachbar höher baut oder irgendwo blöd ne Garage oder Gartenhaus an die Grenze kann euch fast immer passieren
     
  9. Dimeto

    Dimeto

    Dabei seit:
    22.07.2017
    Beiträge:
    1.635
    Zustimmungen:
    2.145
    Beruf:
    Vermessungsingenieur
    Ort:
    NRW
    Ja, allerdings sind wir schon 8 Wochen von der längsten Nacht entfernt und brauchen nur noch 5 Wochen bis zur Tag- und Nachtgleichen.
    Ja, hell wird der Garten, direkte Sonnenstrahlen werden ihn um Weihnachten herum aber nicht erreichen. Das mag für die meisten Menschen genügen, für Sonnenanbeter aber könnte es ein Problem sein.
    Ja, aber wenn man ein Nord-Süd Grundstück hätte, statt wie hier ein Ost-West, könnte der Abstand zur Grenze deutlich größer sein. Das Grundstück ist ca. 20m breit, 3m Grenzabstand nach Norden, 8m nach Süden. Bleiben 9m fürs Haus. Das Ende einer 3m breiten Terrasse wäre nur 5m von der Grenze entfernt. Zu den Tag- und Nachtgleichen kommt zur Mittagszeit also nur noch 1m Garten in den Genuss von Sonnenstrahlen. Ist nicht schlimm. Ich steh' nicht auf Südgarten. Wer aber so großen Wert darauf legt, sollte seine Wünsche nochmal genau auf den Prüfstand stellen.
     
    simon84 gefällt das.
  10. #10 Kriminelle, 15.02.2021
    Kriminelle

    Kriminelle

    Dabei seit:
    16.05.2013
    Beiträge:
    3.828
    Zustimmungen:
    2.157
    Beruf:
    .
    Ort:
    Niedersachsen
    Wer sich das Grundstück anschaut und die möglich gedachte Bebauung, der sieht sehr viel Südterrassenmöglichkeiten - zb im SW oder West... denn auch da ist Südsonne :)
     
    simon84 gefällt das.
  11. Dimeto

    Dimeto

    Dabei seit:
    22.07.2017
    Beiträge:
    1.635
    Zustimmungen:
    2.145
    Beruf:
    Vermessungsingenieur
    Ort:
    NRW
    ... halte ich nicht für genehmigungsfähig.
    ... und die Straße.
     
    simon84 gefällt das.
Thema: Verschattung vom Nachbarhaus-Neubau
Besucher kamen mit folgenden Suchen
  1. schattenwurf Haus nachbargrundstück

Die Seite wird geladen...

Verschattung vom Nachbarhaus-Neubau - Ähnliche Themen

  1. Velux Dachfenster Verschattung und Sonneschutz?

    Velux Dachfenster Verschattung und Sonneschutz?: Hallo zusammen, habe in meiner Dachgeschosswohnung (zur Miete) Velux Fenster vom Typ GPU PK06, welche Variante empfehlt ihr für möglichen...
  2. Wie Verschattung durch Nachbarhaus in den Griff bekommen...

    Wie Verschattung durch Nachbarhaus in den Griff bekommen...: Unsere Reihenhäuser sind leider paarweise leicht versetzt, was bei unseren nach Süden ausgerichteten Dächern vormittags für eine ärgerliche...
  3. Fensterrahmen gebrochen beim nachträglichen Einbau Verschattung

    Fensterrahmen gebrochen beim nachträglichen Einbau Verschattung: Hallo Experten, ich benötige eine Einschätzung eines Schadens, der beim nachträglichen Einbau einer Verschattung am Fensterrahmen entstanden ist....
  4. Verschattung Berechnen

    Verschattung Berechnen: Hallo zusammen, Ich habe zZt einen Bauantrag zur Genehmigung einer Dachgaube auf einem Reihenmittelhaus beim örtlichen Bauamt ausstehen. Die Gaube...
  5. Rollläden an welchen Fenstern? Welcher Typ? Gurt oder Motor? Preis?

    Rollläden an welchen Fenstern? Welcher Typ? Gurt oder Motor? Preis?: Ich weiß, dass ist fast schon eine philosophische Frage oder zumindest eine Frage der eigenen Bedürfnisse aber wir können es eben selbst nicht...