Grenzgarage auf Hanggrundstück in BaWü

Diskutiere Grenzgarage auf Hanggrundstück in BaWü im Architektur Allgemein Forum im Bereich Architektur; Ich tüftele gerade an einer Grundstücksbebauung in BaWü. Um planunten (= Süd) mehr Grundstücksbreite für das Haus frei zu haben, würde ich gerne...

  1. 11ant

    11ant

    Dabei seit:
    28.02.2017
    Beiträge:
    2.373
    Zustimmungen:
    1.435
    Beruf:
    Bauherrenberater
    Ort:
    RLP Nord
    Benutzertitelzusatz:
    bringt Sie gut beraten ins Eigenheim
    Ich tüftele gerade an einer Grundstücksbebauung in BaWü. Um planunten (= Süd) mehr Grundstücksbreite für das Haus frei zu haben, würde ich gerne eine Doppelgarage an die nördliche Grenze stellen. Ein Durchgang zum Haus ist hier kein Killerkriterium, die Optimierung braucht also nicht auf die EG-Fußbodenhöhe zu schielen. Das Haus selbst betreffend macht der Bebauungsplan aus meiner Sicht nur vernünftige Vorgaben.

    Mein Knackpunkt ist hier einzig die mittlere Wandhöhe, die wenn ich recht erinnere auf LBO-Ebene festgelegt ist und vom Bestandsgelände ausgeht. Gelb eingezeichnet ist die 6 m lange Garage in 5 m Abstand zum Übergang Straße / Grundstück.

    Ich hoffe nicht zuletzt auf einen Tip von @Dimeto, wie wenig weit ich die Garage von der Grenze abrücken müßte, damit die mittlere_Wandhöhe_der_Grenzgarage hier ihre spezielle Relevanz verliert und die Garage in diesem Sinne zu einem nur den Bebauungsplan-Höhengrenzen unterworfenen Bauwerk wird.

    Ideal möchte ich nur etwa 1,0 bis 1,5 Meter von der Grenze abrücken und eine Doppelgarage bauen können, die u.a. wegen der Topografie auch unterkellert werden soll (Nutzkeller, nur Abstellräume). Als Plan B habe ich überlegt, auf einen Doppelgaragen-Keller nur eine Einzelgarage zu stellen, d.h. den grenzberührenden der beiden Stellplätze ungedeckt zu lassen (aber am liebsten die Rückwand der Garage bis an die Grenze durchzuziehen).
     

    Anhänge:

    simon84 gefällt das.
  2. Dimeto

    Dimeto

    Dabei seit:
    22.07.2017
    Beiträge:
    1.621
    Zustimmungen:
    2.127
    Beruf:
    Vermessungsingenieur
    Ort:
    NRW
    Ach Elefant,
    Du weißt doch wie sehr ich kleine Puzzleteilchen hasse.
    Da der BPlan offenbar geheim ist, gehe ich mal davon aus, dass er diesbezüglich nichts regelt und somit nur die Vorschriften der LBO anzuwenden sind. Da kannst Du Dich glücklich schätzen, dass Dein Vorhaben in BW liegt, denn hier zählt nicht die natürliche Geländeoberfläche
    (§5, Absatz 4, letzter Satz: Maßgebend ist die tatsächliche Geländeoberfläche nach Ausführung des Bauvorhabens, ...)
    und auch nicht die mittlere Wandhöhe
    (§6, Absatz 1, Satz 3: Für die Ermittlung der Wandhöhe nach Satz 1 Nr. 2 ist der höchste Punkt der Geländeoberfläche zugrunde zu legen.)
    Daher sehe ich nicht die Notwendigkeit, überhaupt von der Grenze abrücken zu müssen.
     
    11ant gefällt das.
  3. 11ant

    11ant

    Dabei seit:
    28.02.2017
    Beiträge:
    2.373
    Zustimmungen:
    1.435
    Beruf:
    Bauherrenberater
    Ort:
    RLP Nord
    Benutzertitelzusatz:
    bringt Sie gut beraten ins Eigenheim
    Geheim nicht, aber das Grundstück ist nicht meines. Ich verrate es Dir gleich per PN. Erst´mal Danke für Deine Einschätzung und Deine Hinweise, das wird die Bauherrin freuen.
     
    Dimeto gefällt das.
  4. #4 Lexmaul, 08.01.2021
    Lexmaul

    Lexmaul

    Dabei seit:
    15.09.2014
    Beiträge:
    8.921
    Zustimmungen:
    2.163
    Benutzertitelzusatz:
    Mimosenlecker
    Wieso macht man sowas nicht sofort per PN...
     
  5. 11ant

    11ant

    Dabei seit:
    28.02.2017
    Beiträge:
    2.373
    Zustimmungen:
    1.435
    Beruf:
    Bauherrenberater
    Ort:
    RLP Nord
    Benutzertitelzusatz:
    bringt Sie gut beraten ins Eigenheim
    Weil ich nicht ausschließlich Meinungen mir bereits bekannter Fachleute schätze, sondern mich gerne überraschen lasse, wer sonst noch etwas kluges beisteuert.
     
    K a t j a und Bungalow2021 gefällt das.
  6. #6 Lexmaul, 08.01.2021
    Lexmaul

    Lexmaul

    Dabei seit:
    15.09.2014
    Beiträge:
    8.921
    Zustimmungen:
    2.163
    Benutzertitelzusatz:
    Mimosenlecker
    Naja, die Frage nach dem Bebauungsplan ist ja nicht Dimeto-exklusiv...
     
  7. 11ant

    11ant

    Dabei seit:
    28.02.2017
    Beiträge:
    2.373
    Zustimmungen:
    1.435
    Beruf:
    Bauherrenberater
    Ort:
    RLP Nord
    Benutzertitelzusatz:
    bringt Sie gut beraten ins Eigenheim
    Ich habe aber erst vor wenigen Momenten die Freigabe der Bauherrin bekommen, den Bauort so weit zu verraten: Stadt Ellwangen | Rindelbach |   - da sind es die letzten beiden Links Rindelbach Wannenfeld.
     
  8. Dimeto

    Dimeto

    Dabei seit:
    22.07.2017
    Beiträge:
    1.621
    Zustimmungen:
    2.127
    Beruf:
    Vermessungsingenieur
    Ort:
    NRW
    Da sich die in #2 getroffenen Annahmen bestätigt haben, bleibe ich bei meiner Auffassung, dass die Positionierung der Garage weitestgehend unproblematisch sein sollte. Die in der LBO verankerte zweite Größenbeschränkung für die Grenzprivilegierung muss man zwar etwas genauer im Auge behalten, aber bei 6m Länge sollten die 25m² Wandfläche einzuhalten sein.

    Und welche Schlussfolgerungen ziehst Du jetzt aus den zur Verfügung gestellten Informationen?
     
    11ant gefällt das.
  9. #9 Lexmaul, 08.01.2021
    Lexmaul

    Lexmaul

    Dabei seit:
    15.09.2014
    Beiträge:
    8.921
    Zustimmungen:
    2.163
    Benutzertitelzusatz:
    Mimosenlecker
    Gar keine, aber dann kann man sich solche Threads sparen. Ich wollte nur meckern, keine Sorge.
     
    K a t j a und Fred Astair gefällt das.
  10. Dimeto

    Dimeto

    Dabei seit:
    22.07.2017
    Beiträge:
    1.621
    Zustimmungen:
    2.127
    Beruf:
    Vermessungsingenieur
    Ort:
    NRW
    OK, dann bin ich beruhigt.
     
    K a t j a gefällt das.
  11. 11ant

    11ant

    Dabei seit:
    28.02.2017
    Beiträge:
    2.373
    Zustimmungen:
    1.435
    Beruf:
    Bauherrenberater
    Ort:
    RLP Nord
    Benutzertitelzusatz:
    bringt Sie gut beraten ins Eigenheim
    Denn die beziehen sich dann schon wiederum auf die Ursprungshöhen (denn ich kann dem Nachbarn ja nicht sagen, daß er aufschütten soll, damit meine Garage nicht so hoch rausguckt) ?
    Damit wären wir ggf. wieder bei meiner Frage von eingangs: käme ich mit einer der Limitierungen für Grenzgaragen in Konflikt, genügte dann eine Abrückung um z.B. einen Meter, oder muß ich dann die ganzen Zweiffuffzich zurückweichen ?
     
  12. Dimeto

    Dimeto

    Dabei seit:
    22.07.2017
    Beiträge:
    1.621
    Zustimmungen:
    2.127
    Beruf:
    Vermessungsingenieur
    Ort:
    NRW
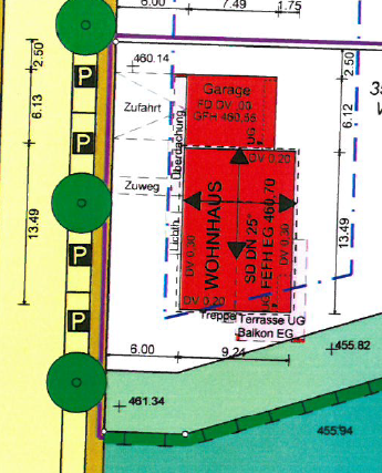
    Nur teilweise, da der Nachbar ja schon eine Mauer gebaut hat, die bis zur Mitte der geplanten Garage reicht. Also mal von der Briefmarke in #1 ausgehend, deren Höhenangaben für ein plausibles Höhenprofil an der Grenze leider nicht ausreichen, betrüge die Wandfläche, wenn die OK Garage mit 463m geplant wäre, was für ein Wohnmobil zwar sehr knapp, für "normale" Fahrzeuge aber vollkommen ausreichend wäre, oberhalb der Nachbarmauer 3m*3m=9m² und hinter der Mauer - mal den worst case eines senkrechten Abbruchs von 2m unterstellend - 3m*5m=15m², in Summe demnach 24m². Das sollte doch hinzubekommen sein.
    Nein. Entweder die Garage ist privilegiert, dann darf sie auf die Grenze oder bis auf 0,5m daran heranrücken, oder sie ist nicht privilegiert, dann löst sie Abstandsflächen aus.
    Ja, es sei denn, der Nachbar erklärt sein Einverständnis.
     
    11ant und K a t j a gefällt das.
  13. #13 JayneCobb, 26.10.2021
    JayneCobb

    JayneCobb

    Dabei seit:
    26.10.2021
    Beiträge:
    2
    Zustimmungen:
    1
    Hallo,
    ich bin einer der Bauherren des von @11ant beschriebenen Bauvorhabens.

    Wir haben an das Bauamt eine Vorabanfrage gestellt mit einer 2,5 m von der Grenze abgerückten Garage (dort wollten wir noch Platz haben für einen Weg runter in den Garten und oben für Mülltonnen, Fahrräder, evtl. Stellplatz).
    Leider ragt das Haus dann deutlich über das Baufenster raus.
    Da sich im Süden eine unbebaubare Biotopfläche anschließt (dunkelgrün im u. a. Screenshot), dachten wir, vielleicht stört es ja niemanden.

    Aber es gab schon ein eindeutiges Nein des Bauamts, also muss das Haus samt unterkellerter Garage nun doch an die nördliche Grenze gerückt werden.
    Neben den bekannten 25 qm wurde uns nun noch gesagt, dass nun der Keller unter der Garage ja nur maximal 1 m aus der Erde rausgucken dürfte, da der Keller ja mit einer Tür an das Haus angeschlossen ist und daher als Nebengebäude gelte.
    Wäre keine Verbindung vorhanden, würde diese Vorgabe nicht gelten. upload_2021-10-26_13-28-1.gif
    (Angeblich zum Schutz des Nachbarn, aber dem kann der Tür-Status unseres Kellers doch egal sein?!)

    Kennt jemand diese Vorgabe in BaWü, also insbesondere das mit dem 1 m?! @Dimeto vielleicht?
    Davon hängt für uns ab, was aus der Kellertür wird.
    Unser Architekt (selber Landkreis wie der Bauplatz; hat sogar schon einige Häuser dort in dem Neubaugebiet geplant) meinte, er sei seit 29 Jahren tätig und hätte noch nie davon gehört.

    Danke schon mal!

    upload_2021-10-26_13-30-4.png
     
    simon84 gefällt das.
  14. 11ant

    11ant

    Dabei seit:
    28.02.2017
    Beiträge:
    2.373
    Zustimmungen:
    1.435
    Beruf:
    Bauherrenberater
    Ort:
    RLP Nord
    Benutzertitelzusatz:
    bringt Sie gut beraten ins Eigenheim
  15. Dimeto

    Dimeto

    Dabei seit:
    22.07.2017
    Beiträge:
    1.621
    Zustimmungen:
    2.127
    Beruf:
    Vermessungsingenieur
    Ort:
    NRW
    Der Meter kommt aus §6 Abs. 1 Nr. 1 LBO. Und auch die Relevanz der Verbindungstür ist mir nicht fremd, da genau dies in NRW bis zur Änderung der Landesbauordnung gängige Verwaltungspraxis war. 2006 wurde dann ausdrücklich der Nebensatz ",auch wenn sie über einen Zugang zu einem anderen Gebäude verfügen," in den Paragrafen zu den privilegierten Gebäuden aufgenommen, um die geänderte Rechtslage zu verdeutlichen. Derartige Formulierungen fehlen in BW bis heute.

    Was mich allerdings wundert ist, dass der sehr erfahrene einheimische Profi davon nichts weiß. Es könnte sich also lohnen, einen anderen in BW erfahrenen Bauvorlageberechtigten zu befragen. Auch könnte Euer Architekt bei seiner Architektenkammer mal nachfragen, was im Ländle so gängige Praxis ist.
     
    JayneCobb und 11ant gefällt das.
  16. #16 JayneCobb, 27.10.2021
    Zuletzt bearbeitet: 27.10.2021
    JayneCobb

    JayneCobb

    Dabei seit:
    26.10.2021
    Beiträge:
    2
    Zustimmungen:
    1
    Vielen Dank für die präzise Antwort und den Verweis auf die Quelle dieser Vorgabe!
    Wenn ich es richtig verstehe, ist es in BW Auslegungssache, wie streng dies gehandhabt wird?
    Ich befürchte, wenn der zuständige Mitarbeiter des Bauamts mir das so mitteilt, wird er das eher gesetzeskonform betrachten.:fleen
    Der Architekt vermutet, dass hiermit vermieden werden soll, dass daraus nachträglich noch ein Wohnbereich gebastelt werden soll. Aber der Keller hat keine Heizung, man muss durch den Heizungsraum, um dahin zu gelangen … Das spricht ja wohl nicht dafür, dass wir uns dort gemütlich einrichten wollen.:bef1006:
    Jetzt wissen wir nicht so recht weiter, ob wir es wagen sollen, die Tür im Plan drinzulassen oder sie vorsorglich rauszunehmen.
    Ich rede mal mit dem GU drüber, vielleicht hat der noch den richtigen Riecher.
    Den Architekten können wir nicht wechseln (oder meinst Du, dass sich unser Architekt mal bei einem anderen erfahrenen Kollegen erkunden könnte?), der hat alles soweit durchgeführt und ist der Haus-und-Hof-Architekt des GUs.
    Der Hinweis mit der Kammer ist hilfreich, danke!
     
  17. Dimeto

    Dimeto

    Dabei seit:
    22.07.2017
    Beiträge:
    1.621
    Zustimmungen:
    2.127
    Beruf:
    Vermessungsingenieur
    Ort:
    NRW
    Ich meinte, dass Ihr Euch mal im Bekanntenkreis umhören könntet, ob jemand einen guten, erfahrenen Architekten oder Bauingenieur oder Fachanwalt für Baurecht aus BW kennt, den man mal nach seinen Erfahrungen mit diesem oder auch anderen Bauämtern befragen könnte. Alternativ sind Architekten Pflichtmitglieder in der Architektenkammer, die - jedenfalls in NRW - einen Service bezüglich Rechtsfragen für ihre Mitglieder anbietet, so dass der GU-Architekt relativ leicht an verlässliche Informationen gelangen kann. Schließlich schuldet er Euch eine genehmigungsfähige Planung und wenn er den Keller mit Verbindungstür nach seiner jahrzehntelangen Erfahrung für zulässig hält, sollte er sich um das nötige Rüstzeug kümmern, damit es nicht zu einer Ablehnung durch die Baugenehmigungsbehörde kommt.
     
    JayneCobb und 11ant gefällt das.
  18. #18 MoJo190, 26.10.2024
    Zuletzt bearbeitet: 26.10.2024
    MoJo190

    MoJo190

    Dabei seit:
    26.10.2024
    Beiträge:
    13
    Zustimmungen:
    1
    Hallo zusammen,

    ich plane den Bau eines Einfamilienhauses in Baden-Württemberg mit einer unterkellerten Garage als Grenzbebauung am Hang. Mit der natürlichen Geländeoberfläche ergibt sich eine Fläche von ca. 27 m^2. Der Nachbar auf dieser Seite baut im Moment sein Haus und hat mir bereits zugesagt, dass wenn unsere Garage steht er ohnehin den Hang an dieser Stelle etwas aufschütten möchte, wodurch wir unter den 25 m^2 wären. In seinem Bauantrag hat er jedoch an dieser Stelle erstmal die natürliche Geländeoberfläche angegeben. Kann ich in meinem Bauantrag bereits die sich später ca. ergebende Geländeoberfläche angeben oder wie kann ich hier vorgehen?

    Danke im Voraus
     
  19. Dimeto

    Dimeto

    Dabei seit:
    22.07.2017
    Beiträge:
    1.621
    Zustimmungen:
    2.127
    Beruf:
    Vermessungsingenieur
    Ort:
    NRW
    Zunächst hättest Du besser einen eigenen Thread eröffnet, da es bis auf die Überschrift keine Übereinstimmungen mit dem bestehenden Sachverhalt gibt.
    Vielleicht erbarmt sich ein Moderator und verschiebt den Beitrag.
    Da beißt sich die Katze in den Schwanz: Ohne Garage keine Aufschüttung - ohne Aufschüttung keine Garage.
    Ja, das kannst Du machen, aber ob der Mensch, der die Baugenehmigung erteilen soll, das akzeptiert, wird hier wohl niemand beantworten können.

    Hätte ich darüber zu entscheiden, würde ich einen Lageplan verlangen, aus dem die Bestandshöhen und die geplanten Höhen hervorgehen, und auf dem eine Erklärung des Nachbarn steht, dass er mit Deinem Bauvorhaben einverstanden ist und sich verpflichtet, innerhalb einer Frist nach Fertigstellung Deiner Garage die geplanten Höhen herzustellen. Da dieses Vorgehen ein gewisses Risiko birgt, nämlich wenn Dein Nachbar im Lotto gewänne und ein Chalet in der Schweiz kaufte und sein Rechtsnachfolger sich nicht an diese Vereinbarung halten müsste und deshalb gegen Deine Baugenehmigung vorgehen könnte, hätte ich Verständnis dafür, wenn Deine Genehmigungsbehörde sich nicht darauf einließe.
     
    11ant, Fred Astair und MoJo190 gefällt das.
  20. #20 hanghaus2000, 11.06.2025
    hanghaus2000

    hanghaus2000

    Dabei seit:
    24.11.2021
    Beiträge:
    1.472
    Zustimmungen:
    591
    Beruf:
    Bauleiter, Kalkulator, Controller, Salzdesign
    Ort:
    Bayern
    Hallo @MoJo190 wie hast denn das Problem gelöst?
     
    11ant gefällt das.
Thema:

Grenzgarage auf Hanggrundstück in BaWü

Die Seite wird geladen...

Grenzgarage auf Hanggrundstück in BaWü - Ähnliche Themen

  1. Grenzgarage direkt am Haus in Brandenburg

    Grenzgarage direkt am Haus in Brandenburg: Hallo miteinander, ich konnte bisher keine Antwort auf folgenden Sachverhalt finden: Wir haben ein Grundstück in Brandenburg (Teltow-Fläming)...
  2. Grenzgarage bei aufgeschüttetem Gelände

    Grenzgarage bei aufgeschüttetem Gelände: Hallo liebe Experten, aktuell befinden wir uns in der Phase der Genehmigung unserer Doppelhaushälften. In unserem Baugebiet wurden die Straßen um...
  3. Photovoltaik auf Grenzgarage aufgeständert

    Photovoltaik auf Grenzgarage aufgeständert: Hallöchen, ich habe mal eine Frage zu Photovoltaikanlagen auf Grenzgaragen. Es ist gerade so, dass mein Nachbar an seiner Hausfront die nach Osten...
  4. Regeln Grenzgarage

    Regeln Grenzgarage: Ich bin mir unsicher ob ich die ganzen Paragraphen und Regeln für eine Grenzgarage in BW richtig verstanden habe. Die Grundfläche darf nicht...
  5. Grenzgarage Bayern > 50m²

    Grenzgarage Bayern > 50m²: Hallo liebe Community-Mitglieder, Ich benötige eine Meinung zum Thema Grenzbebauung einer Garage in Bayern. Ich habe eine Garage mit 6mx9m auf...