Grundstrücksbreite 20m - Haus + Doppelgarage - Niedersachsen

Diskutiere Grundstrücksbreite 20m - Haus + Doppelgarage - Niedersachsen im Architektur Allgemein Forum im Bereich Architektur; Hallo zusammen, ich bin neu hier und überlege gerade mir ein Grundstück zu kaufen. Im Anhang schicke ich euch einen Teil des B-Plans sowie den...

  1. glug

    glug

    Dabei seit:
    13.11.2017
    Beiträge:
    80
    Zustimmungen:
    9
    Hallo zusammen,

    ich bin neu hier und überlege gerade mir ein Grundstück zu kaufen.
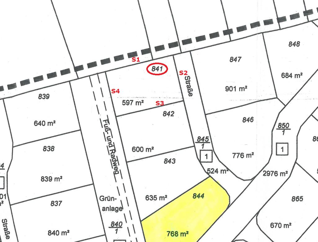
    Im Anhang schicke ich euch einen Teil des B-Plans sowie den Lageplan des Grundstückes an sich.
    Die Seiten der Grundstücke habe ich mit S1 – S4 gekennzeichnet, damit ich besser erklären kann.
    Im Ausschnitt des B-Plan habe ich die Bauvorschriften und das Grundstück an sich gekennzeichnet.

    Das Grundstück hat eine Tiefe von ca. 30m und eine Breite von ca. 20m und ist in Niedersachsen. 597m² insgesamt.
    Laut Bebauungsplan sind 3m Grenzabstand einzuhalten. An S4 grenzt eine Fläche für die Wasserwirtschaft (kein Fuß- und Radweg mehr).
    An S1 grenzt ein 6m Grünstreifen zum nächsten Bauplatz aufgrund einer dort verlegten Gasleitung.
    An S1 dürfte ich mit untergeordneten Bauten (Garage) Grenzbebauung durchführen.

    Gebaut werden darf folgendermaßen laut B-Plan:
    - Eingeschossige Bauweise / offene Bauweise / Einfamilienhaus
    - Grundflächenzahl 0,3
    - Geschossflächenzahl 0,3
    - Max 2 Wohneinheiten
    - Satteldach oder Walmdach mit 38°- 45°

    So, nun zu meiner eigentlichen Frage.
    Ich möchte ein Haus bauen mit circa 160m² und am liebsten soll eine Dopplegarage an S3 grenzgebaut werden.
    So hätte ich einige Meter von meinem linken Nachbarn bevor mein Haus anfängt und auf der rechten Seite hätte ich ja durch den 6 Meter breiten Grünstreifen eh genug Platz zum nächsten Nachbarn.
    Die grundsätzliche Frage ist aber, ob 20 Meter nicht ein wenig gering sind?
    Durch die 3 Meter, die ich auf einer Seite einhalten muss, bleiben mir ja rechnerisch nur noch 17 Meter für ein Haus + Doppelgarage.
    Wie seht ihr das? Sollte das einfach realisierbar sein?

    Bei dem Grundstück muss ich aufgrund der Vorgaben leider schon auf den Bau eines Hauses vom Typ Stadtvilla verzichten - damit kann ich leben.
    Auf eine Doppelgarage möchte ich aber nicht auch noch verzichten.

    Vielen Dank im Voraus für das Lesen des ausführlichen Textes und eure Antworten!
     

    Anhänge:

  2. #2 Onkel Dagobert, 13.11.2017
    Onkel Dagobert

    Onkel Dagobert

    Dabei seit:
    23.10.2014
    Beiträge:
    724
    Zustimmungen:
    33
    Beruf:
    Bauingenieur
    Ort:
    Emlichheim (Nds.)
    Und warum die Garage nicht an S1? Spart 3 Meter und die Südseite (S3) wäre frei. Ich gehe jetzt mal davon aus dass der Lageplan genordet ist
     
  3. #3 Onkel Dagobert, 13.11.2017
    Onkel Dagobert

    Onkel Dagobert

    Dabei seit:
    23.10.2014
    Beiträge:
    724
    Zustimmungen:
    33
    Beruf:
    Bauingenieur
    Ort:
    Emlichheim (Nds.)
    Ich lese gerade GRZ 0,3. Darfst du laut B-Plan mit Nebenanlagen die GRZ um 50% überschreiten? (wird manchmal ausgeschlossen).
    Dass würde bedeuten, dass du insgesamt 45% bebauen darfst inkl. Garage, Einfahrt, Terasse, usw. Da solltest mal grob überschlagen ob das hinhaut. Da ist man nämlich schneller als man denkt, vor allem mit Doppelgarage und der zugehörigen Einfahrt:

    597 x 45% = 268 m2

    Haus (10,00 x 12,00 m) = 120 m2
    Garage (7,00 x 9,00 m) = 63 m2
    Einfahrt (7,00 x 5,00 m) = 35 m2

    bleiben noch ca. 50 m2 für Wege, Terrasse, usw. könnte passen, aber im Auge behalten.
     
  4. glug

    glug

    Dabei seit:
    13.11.2017
    Beiträge:
    80
    Zustimmungen:
    9
    So wie ich es verstanden habe, darf ich doch bei untergeordnete Bauten wie Garagen an einer Seite Grenzbebauung vornehmen.
    Ob nun an S1 oder S3 ist prinzipiell egal. Ich dachte die Garage an S3, da dann das Haus circa 6m (je nach Breite der Garage) von der Grundstücksgrenze entfernt ist. An S1 könnte ich das Haus dann bis auf 3 Meter bauen.
    Wie meinst du daher deinen folgenden Satz:
    Wieso spare ich da 3 Meter?

    Es ist nicht im B-Plan ausgeschlossen. Und laut Niedersächsischer Bauordnung darf ich dann um 50% überschreiten, richtig?
     
  5. #5 Onkel Dagobert, 13.11.2017
    Onkel Dagobert

    Onkel Dagobert

    Dabei seit:
    23.10.2014
    Beiträge:
    724
    Zustimmungen:
    33
    Beruf:
    Bauingenieur
    Ort:
    Emlichheim (Nds.)
    Hast recht, habe mich da gedanklich verzettelt.

    korrekt
     
  6. #6 Onkel Dagobert, 13.11.2017
    Onkel Dagobert

    Onkel Dagobert

    Dabei seit:
    23.10.2014
    Beiträge:
    724
    Zustimmungen:
    33
    Beruf:
    Bauingenieur
    Ort:
    Emlichheim (Nds.)
    Doppelgarage bei der Grundstücksgröße / -geometrie wird halt schwierig.
    Bei 6,00m Breite der Garage (was schon knapp ist) bleiben dann halt noch 11,00m fürs Haus übrig.
    Könntest das Haus auch längs aufs Grundstück stellen, dann passt es, wenn man mal von der üblichen Kubatur ausgeht (ca. 10,00 x 12,00 m).
    Aber warum unbedingt an S3? Ist doch die Südseite, oder?
     
  7. #7 glug, 13.11.2017
    Zuletzt bearbeitet: 13.11.2017
    glug

    glug

    Dabei seit:
    13.11.2017
    Beiträge:
    80
    Zustimmungen:
    9
    EDIT: Das hat sich überschnitten.

    EDIT 2:
    Ich denke längs wäre prinzipiell auch in Ordnung.
    Mein Gedanke mit S3 (südseite) war lediglich, dass die Garage ja eine Breite von 6-7 Metern hat und dann erst das Haus anfängt. Die Zimmer haben dann auch diesen Abstand von diesen 6-7 Metern zur Grenze.
    Auf der anderen Seite (S1) wäre ich dann bis auf drei Meter an der Grenze mit dem Haus, aber durch den 6 Meter breiten Streifen hätte ich auch hier noch viel Platz zum Nachbarn.
    War aber auch nur eine grundlegende Überlegung von mir. Generell kann die Garage auch bei S1 grenzgebaut werden.
     
Thema: Grundstrücksbreite 20m - Haus + Doppelgarage - Niedersachsen
Besucher kamen mit folgenden Suchen
  1. 20m breites grundstück bebauen mit einliegerwohnung und doppelgarage

Die Seite wird geladen...

Grundstrücksbreite 20m - Haus + Doppelgarage - Niedersachsen - Ähnliche Themen

  1. Dampfsperre auf Bodenplatte Haus ohne Keller

    Dampfsperre auf Bodenplatte Haus ohne Keller: Hallo zusammen, kann mir evtl. jemand bei folgendem Thema weiterhelfen: Wir bauen aktuell ein EFH ohne Keller. Das Haus soll eine FBH bekommen...
  2. Hilfe bei Vorplanung gesucht: Passt mein Haus (8,84m x 13,64m) auf dieses Grundstück?

    Hilfe bei Vorplanung gesucht: Passt mein Haus (8,84m x 13,64m) auf dieses Grundstück?: Hallo zusammen, ich bin gerade in der ersten Planungsphase für mein Bauprojekt und bräuchte mal eure Einschätzung bzw. die Hilfe von jemandem mit...
  3. Fuge vom Gartenweg zum Haus erneuern

    Fuge vom Gartenweg zum Haus erneuern: Liebes Forum, die Fuge vom Gartenweg zum Haus ist an einigen Stellen kaputt (bei der Reinigung mit dem Hochdruckreiniger sind mir leider ein paar...
  4. Ton im Haus

    Ton im Haus: Guten Morgen Liebe Mitglieder des Forums Wir brauchen Ihre Hilfe. Ich versuche das Problem einmal kurz zusammenzufassen. Seit dieser Heizperiode...