Ideen für Plazierung Haus und Garage. Zufahrt von Süd

Diskutiere Ideen für Plazierung Haus und Garage. Zufahrt von Süd im Architektur Allgemein Forum im Bereich Architektur; Wir möchten bald unser Einfamilienhaus Projekt angehen. Nun bin ich zu Beginn auf der Suche nach grundlegenden Ideen für die Plazierung von Haus...

  1. #1 Wberger, 01.01.2019
    Wberger

    Wberger

    Dabei seit:
    28.10.2018
    Beiträge:
    14
    Zustimmungen:
    0
    Beruf:
    Ingenieur
    Ort:
    Baden-Württemberg
    Wir möchten bald unser Einfamilienhaus Projekt angehen. Nun bin ich zu Beginn auf der Suche nach grundlegenden Ideen für die Plazierung von Haus und Garage. Natürlich wird die Planung zusammen mit einem Architekten erfolgen. Aber vorher schon eigene Ideen zu haben was geht, was nicht geht, was wir möchten, was wir nicht möchten macht denke ich Sinn, das hilft sicherlich im Architektengespräch.

    Die Plazierung ist nicht ganz einfach. Es gibt einige schwierige Randbedinungen und sicher wiedersprechende Wünsche. Zum Grundstück:
    * Grundstück vorhanden, Bebauung zwischen Bestand wie in der 3D Ansicht zu sehen
    * 602 qm Fläche, 22,4m breit zur Straße, 26,8m tief
    * Zufahrt von Südseite
    * Die blaue Linie gibt die Baugrenze wieder. Süd und West 2,5m Abstand. Nach Nord 6m Baugrenze!!!!
    * Standort Baden-Württemberg
    Ansicht.jpg

    Und nun zu den Wünschen:
    * Obwohl im Westen recht hohe Gebäude sind, ist doch die Westseite des Hauses fast die Wichtigste. Dann wenn die arbeitende Bevölkerung zuhause ist, sprich Abends gibts im Westen noch Sonne. Außerdem ist man auf der Westseite vor dem Wind geschützt im Gegensatz zur Südseite. --> Kurzum das Haus sollte möglichst weit nach Osten, um auf der Westseite nicht direkt am Nachbargebäude zu sein.
    * Zum Haus soll eine gescheite Garage dazu. Sprich eine Doppelgarage. Viele Baupläne auf ähnlichen Grundstück-Gegebenheiten haben einen Carport vor oder neben dem Haus, der gleichzeitig Eingang ist. So was soll es nicht werden, sondern einen richtige Garage.
    * Und zu guter Letzt soll das Haus natürlich ausreichend Südfenster haben. Die Garage soll nicht in der Sonne stehen.

    Schwierig, oder? Habt ihr Ideen wie man Doppelgarage und Haus plazieren kann?
     
  2. #2 Wberger, 01.01.2019
    Wberger

    Wberger

    Dabei seit:
    28.10.2018
    Beiträge:
    14
    Zustimmungen:
    0
    Beruf:
    Ingenieur
    Ort:
    Baden-Württemberg
    * Aufgrund der 6m Baugrenze im Norden kommt das Haus so weit Richtung Straße, dass eine Garage südlich vom Haus nicht geht, beziehungsweise die Südfenster blockiert.
    * Nächste Variante: Garage als Tiefgarage versenken, am Westrand vom Grundstück. Auf die Garage kann dann eine Terasse. Allerdings gibt das eine ziemlich steile Abfahrt. Außerdem ist eine Tiefgarage mit begehbarem Dach natürlich teuer.
     
  3. #3 Wberger, 01.01.2019
    Wberger

    Wberger

    Dabei seit:
    28.10.2018
    Beiträge:
    14
    Zustimmungen:
    0
    Beruf:
    Ingenieur
    Ort:
    Baden-Württemberg
    * Beste Idee bis jetzt: Garage im Norden hinters Haus in den Bereich außerhalb Baugrenze.
    Nachteil: ist halt eine lange Einfahrt, mit großer Wendeplatte. Und man muss mit dem PKW rückwärts rausfahren. Sollte aber machbar sein.
    garage.jpg
     
  4. #4 Kriminelle, 02.01.2019
    Kriminelle

    Kriminelle

    Dabei seit:
    16.05.2013
    Beiträge:
    3.707
    Zustimmungen:
    2.048
    Beruf:
    .
    Ort:
    Niedersachsen
    Sollen wir Dir das jetzt bestätigen oder was ist jetzt Deine Frage?

    Grundsätzlich braucht man für einen Vorschlag den B-Plan mit den textlichen Festsetzungen zur Garage/Baufenster, einen richtigen vermaßten Plan mit Baufenster etc (nicht diese 3D-Spielerei) und den Bauort, um die entsprechende LBO mal durchzuschauen, wo eine Nebenanlagen wie groß gebaut werden darf.
     
  5. #5 Wberger, 02.01.2019
    Wberger

    Wberger

    Dabei seit:
    28.10.2018
    Beiträge:
    14
    Zustimmungen:
    0
    Beruf:
    Ingenieur
    Ort:
    Baden-Württemberg
    • LBO Baden-Württemberg (Landkreis HDH)
    • Ausschnitt aus Textteil Bebauungsplan habe ich angehängt --> Garagen auch außerhalb Baufenster zulässig.
    Plan kommt morgen. Bemaßung hatte ich aber oben geschrieben.
     

    Anhänge:

  6. #6 Leser112, 02.01.2019
    Zuletzt bearbeitet: 02.01.2019
    Leser112

    Leser112

    Dabei seit:
    23.12.2016
    Beiträge:
    1.843
    Zustimmungen:
    254
    Beruf:
    Dipl.-Ing., TGA Planer
    Ort:
    Berlin-Brandenburg
    Benutzertitelzusatz:
    Energieeffizienzexperte
    BV nach B-Plan oder nach § 34? Hat sich inzwischen scheinbar erledigt;)
    B-Pläne sind grundsätzlich nicht völlig verkehrt, um ausufernden Bauabsichten einiger Weniger entgegen zu wirken.
    Allerdings wird das vielerorts häufig deutlich übertrieben, wobei individueller Gestaltungsspielraum deutlich eingeschränkt wird.
    Mitunter wird die Farbe und Standort des Briefkastens, der Dachbedeckung und zunehmend häufig auch die Nutzung von Fernwärme aus Sicht der Erschließer solcher Baugebiete vorgeschrieben.
    Zudem findet man bei den beabsichtigten Grundstücken häufig eine Bindung an einen vordefinierten GU/GÜ/BT.
    Ob man sich in einer derartigen vordefinierten Uniformität, die mich an Wohn-Kasernen modernster Bauart erinnert, wohl fühlen mag, muß jeder Bauherr selbstverständlich für sich entscheiden.
     
  7. #7 driver55, 02.01.2019
    driver55

    driver55

    Dabei seit:
    22.02.2008
    Beiträge:
    6.872
    Zustimmungen:
    1.798
    Beruf:
    Dipl.-Ing.
    Ort:
    Pforzheim
    Du meinst die mit einem VG?

    :confused:

    Eine ordentliche Planung besteht aus viel mehr, als nur "Ich setze mir die Doppelgarage optimal auf das Grundstück und baue dann das EFH dazu oder drumherum".
    • wird das Haus nur 7 x 7 m, kannst du die Garage platzieren wo du willst - immer genügend Platz vorhanden, bei 15 x 15 m sieht's natürlich anders aus.
    • benötigst du über die DG hinaus öfters noch weitere Stellplätze (viel Besuch), wäre das Zupflastern #3 eine Variante. Rückwärts rausfahren wöllte ich aber trotzdem nicht
    • ...
    • ansonsten wie Kriminelle...
    Ich würde vielmehr die gewünschten Eigenschaften des Eigenheims notieren (hast ja schon damit angefangen) und die Planung dem Archi überlassen.
    • DG (direkter Zugang ins Haus)
    • DG integriert, teilintegriert, separat...
    • 1 VG, 2 VG?
    • Wohnfläche
    • Pultdach (wenn zulässig), Ausrichtung
    • Terrasse Position und ca. Größe
    • Hauseingang: Süd/West/Nord/Ost
    • weitere Stellplätze
    • u.s.w. u.s.f.
     
  8. #8 Wberger, 02.01.2019
    Wberger

    Wberger

    Dabei seit:
    28.10.2018
    Beiträge:
    14
    Zustimmungen:
    0
    Beruf:
    Ingenieur
    Ort:
    Baden-Württemberg
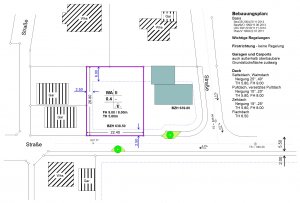
    Hier der gewünschte Lageplan mit Bemaßung. Die 3D "Spielerei" war gedacht zum den Gebäudebestand daneben zu zeigen.
    --> ja die zwei "Garagen westlich vom Platz sind mächtig. Trauf bei 3,6m und First bei 6,80m. Das ist der Grund weshalb ich da nennenswert Abstand halten möchte.

    lageplan.jpg

    Das geplante Haus wird ein Einfamilienhaus mit 2 VG und Pultdach. Grundfläche ca. 9m x 12m.
    Die DG soll minimum zwei Autos Platz bieten, muss nicht besonders hoch sein.

    Aber nochmals zur Erinnerung: ich bin nur auf der Suche nach Ideen und Anregungen, nicht nach einem fertigen Plan.
     
  9. 11ant

    11ant

    Dabei seit:
    28.02.2017
    Beiträge:
    2.486
    Zustimmungen:
    1.564
    Beruf:
    Bauherrenberater
    Ort:
    RLP Nord
    Benutzertitelzusatz:
    bringt Sie gut beraten ins Eigenheim
    Aber sie ließ beispielsweise den Baum gegenüber aus, der für die Einfahrtslage nicht unbedeutend ist.
     
  10. #10 jodler2014, 02.01.2019
    jodler2014

    jodler2014

    Dabei seit:
    20.12.2014
    Beiträge:
    3.907
    Zustimmungen:
    542
    Beruf:
    Angestellter
    Ort:
    RP
    Bei 5,50 m Fahrbahnbreite mit einem " normalen " PKW wohl kein Problem.
    Garage soweit wie möglich nach NO neben das Haus.
    Gerade Zufahrt von der Straße in die Garage.
     
  11. #11 driver55, 02.01.2019
    Zuletzt bearbeitet: 02.01.2019
    driver55

    driver55

    Dabei seit:
    22.02.2008
    Beiträge:
    6.872
    Zustimmungen:
    1.798
    Beruf:
    Dipl.-Ing.
    Ort:
    Pforzheim
    @Wberger: Was an den beiden Garagen "mächtig" sein soll habe ich noch nicht verstanden. Das sind doch ganz normale Gebäude. Du baust defintiv höher.

    Und "Die Garage soll nicht in der Sonne stehen." Hintergrund?

    D.h. "integriert" oder hinter's Haus.
     
  12. 11ant

    11ant

    Dabei seit:
    28.02.2017
    Beiträge:
    2.486
    Zustimmungen:
    1.564
    Beruf:
    Bauherrenberater
    Ort:
    RLP Nord
    Benutzertitelzusatz:
    bringt Sie gut beraten ins Eigenheim
    Dennoch würde ich mich nicht gerade darum reißen, meine Einfahrt direkt gegenüber der Engstelle zu plazieren.
     
  13. #13 jodler2014, 02.01.2019
    jodler2014

    jodler2014

    Dabei seit:
    20.12.2014
    Beiträge:
    3.907
    Zustimmungen:
    542
    Beruf:
    Angestellter
    Ort:
    RP
    Der Baum oder die Grünfläche ist ja eher zentral / mittig gegenüber des GS gelegen...
    Die Garage hinter dem Haus ist ja fahrtechnisch eine Herausforderung.
    Die hintere rechte Hausecke ist dann bald rund und das Blech am PKW kaltverformt.
     
    11ant und simon84 gefällt das.
  14. am1003

    am1003

    Dabei seit:
    30.11.2015
    Beiträge:
    1.678
    Zustimmungen:
    412
    Beruf:
    Installateur
    Ort:
    Spreenhagen, Brandenburg
    Ist einparken in der Stadt auch eine Herausforderung ?

    PS: Meine erste Wahl wäre die Garage dort auch nicht, aber machbar.
     
  15. #15 Wberger, 03.01.2019
    Wberger

    Wberger

    Dabei seit:
    28.10.2018
    Beiträge:
    14
    Zustimmungen:
    0
    Beruf:
    Ingenieur
    Ort:
    Baden-Württemberg
    Sorry blöd formuliert. Ich meinte die Garage solle dem Haus nicht die Sonne nehmen. Sprich Garage nicht in Süd oder Süd-West.
     
  16. #16 driver55, 03.01.2019
    driver55

    driver55

    Dabei seit:
    22.02.2008
    Beiträge:
    6.872
    Zustimmungen:
    1.798
    Beruf:
    Dipl.-Ing.
    Ort:
    Pforzheim
    Was können wir dafür, wenn du nicht Autofahren kannst.:biggthumpup:
    3,5 m breite Zufahrt und vor der DG ordentlich Platz. Ich sehe da keine Probleme, auch wenn ich mir keine > 100 m² zupflastern wöllte. Aber das muss er wissen.
    Bei nicht Süd und nicht Süd-West bleibt nicht wirklich viel Spielraum.
     
  17. #17 Kriminelle, 03.01.2019
    Kriminelle

    Kriminelle

    Dabei seit:
    16.05.2013
    Beiträge:
    3.707
    Zustimmungen:
    2.048
    Beruf:
    .
    Ort:
    Niedersachsen
    Ich würde die Garage nicht nach hinten bauen. Man baut sich dann ja ein zusammengeklapptes Pfeifenstielgrundstück.
    Noch dazu das ganze Pflaster... Kost nur unnötig Geld ohne Nutzen. Der Weg muss auch mal gekehrt werden. Schnee schippen etc.

    Ich geh mal davon aus, dass der angegebene Wert von 0,4 die GRZ ist? Oder ist es die GFZ?
    Da müsste man sich mal kund tun, was damit gemeint ist.
    Die GRZ darf ja bi 50 von 100 überschritten werden. 240qm... Dein Haus hat 108, mit ordentlicher Terrasse bist Du bei 140qm... wenn der Dachüberstand größer als 0,5, dann eventuell noch mehr (weiß nicht, wie es in BW gehandhabt wird).
    Garage mit Abstellraum 6 x 8... 50qm... da läppert es sich zusammen.
    Und dann kommst Du mit einer Versiegelung von ü100qm bei einer 4 Meter breiten Auffahrt.

    Ich würde selbst die Garage +- 6 Meter von der Straße an der Ostseite hinbauen. Dann hat man davor noch Parkfläche für Besuch oder muss nicht jedesmal auch gleich in die Garage. Diese 6 Meter haben nämlich Sinn ;) Das Haus würde ich vermitteln... zb direkt dahinter mit 3 Meter Grenzabstand oder daneben. Kommt auf den Grundriss an. Eingang würde ich schön einladend sichtbar in den Süden packen, eine Hecke zw Eingang und Süd-Terrasse.

    Und ich würde mir das Wort „mächtig“ verkneifen, wenn ich selbst ein sehr mächtiges Haus aufs Grundstück setze ;)
     
    simon84 und driver55 gefällt das.
  18. #18 Wberger, 04.01.2019
    Wberger

    Wberger

    Dabei seit:
    28.10.2018
    Beiträge:
    14
    Zustimmungen:
    0
    Beruf:
    Ingenieur
    Ort:
    Baden-Württemberg
    Der Wert 0,4 gibt die zulässige Grundflächenzahl an (BauNVO §16 und 19)
     
  19. #19 Kriminelle, 07.01.2019
    Kriminelle

    Kriminelle

    Dabei seit:
    16.05.2013
    Beiträge:
    3.707
    Zustimmungen:
    2.048
    Beruf:
    .
    Ort:
    Niedersachsen
    Hallo? Noch da?
     
  20. #20 Wberger, 08.01.2019
    Wberger

    Wberger

    Dabei seit:
    28.10.2018
    Beiträge:
    14
    Zustimmungen:
    0
    Beruf:
    Ingenieur
    Ort:
    Baden-Württemberg
    Ja. Habe doch geantwortet. Deine Ansätze klingen interessant, wenn ich auch einen Grundriss mit Hauseingang von Süd schwierig finde.

    Momentan überlege ich mir Garage und Eingang nach West zu legen. Das Haus würde dann wie gewünscht möglichst weit nach Ost wandern.
     
Thema: Ideen für Plazierung Haus und Garage. Zufahrt von Süd
Besucher kamen mit folgenden Suchen
  1. grundriss haus zufahrt süden

    ,
  2. grundriss haus strasse sü

    ,
  3. haus südlich eingang grundriss

    ,
  4. hausplanung wenn eingang spdlich,
  5. grundriss efh mit doppelgarage zufahrt im süden,
  6. südeinfahrt grundstück,
  7. dreifachgarage zufahrt,
  8. grundstück ausrichtung nord,
  9. haus mit doppelgarage,
  10. pfeifenstielgrundstück zufahrt grz,
  11. haus mit südzufahrt Garage im norden,
  12. haus südzufahrt,
  13. haus Einfahrt Süden mit Garage und hwr,
  14. perfektes Haus mit Süd zufahrt,
  15. grundstück südzufahrt,
  16. Garage ostseite Haus ,
  17. grundstück strasse Süd grundriss,
  18. vorschläge südwest ausrichtung hausbau Architektur,
  19. garage auf südseite,
  20. pfeifenstielgrundstück zufahrt im westen lage des hauses,
  21. Garage hinterm haus langes grundstück ideen,
  22. garagenzufahrt plan,
  23. hauszufahrt kleines Grundstück,
  24. hauseingang südseite,
  25. hauseingang ost oder südseite
Die Seite wird geladen...

Ideen für Plazierung Haus und Garage. Zufahrt von Süd - Ähnliche Themen

  1. Ideen gesucht: Terrasse im U-förmigen Haus schließen – wie Durchgang und dunklen Eckraum nutzen?

    Ideen gesucht: Terrasse im U-förmigen Haus schließen – wie Durchgang und dunklen Eckraum nutzen?: Hallo zusammen, wir überlegen, unser neu erworbenes älteres Haus umzubauen und würden uns sehr über Ideen oder Erfahrungen freuen. Das Haus ist...
  2. Idee für Fundament

    Idee für Fundament: Hallo zusammen, ich plane ein Holzhaus aus Blockbohlen mit Ständerwerk und Dämmung zu bauen. Ich habe eine Baugrunduntersuchung machen lassen und...
  3. Ideen gesucht: Rückseite HKV Richtung WC Vorwandelement

    Ideen gesucht: Rückseite HKV Richtung WC Vorwandelement: Hallo zusammen, Nachdem mein "Stufenproblem" jetzt erst mal erfolgreich planerisch gelöst ist (Ausführung in der zweiten Jahreshälfte :bau_1:)...
  4. Idee? Woher kommt die Feuchtigkeit am Sockelputz?

    Idee? Woher kommt die Feuchtigkeit am Sockelputz?: Liebe Bauexperten, ich bin neu hier und habe ein Problerm, leider bin ich mit meinen Ideen am Ende. Können Sie/ihr mir helfen? Bei unserem Haus...
  5. Alu Terassenüberdachung seitlich mit Sandwichplatten schließen. Ideen!? Erfahrung?

    Alu Terassenüberdachung seitlich mit Sandwichplatten schließen. Ideen!? Erfahrung?: Hallo zusammen, ich habe eine Alu-Terrassenüberdachung mit den Maßen ca. 5 × 3 m und überlege schon seit längerer Zeit, wie ich diese mit...